Login
Register
IND
Indianapolis International Airport
Official FAA Data Effective 2026-02-19 0901Z
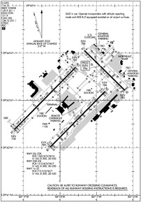
VFR Chart of KIND
Sectional Charts at SkyVector.com
IFR Chart of KIND
Enroute Charts at SkyVector.com
Location Information for KIND
Coordinates: N39°43.04' / W86°17.68'Located 07 miles SW of Indianapolis, Indiana on 7700 acres of land. View all Airports in Indiana.
Surveyed Elevation is 796 feet MSL.
Operations Data
|
|
Airport Communications
| D-ATIS: | 134.25 |
|---|---|
| ASOS: | Tel. 317-220-6243 |
| INDY TOWER: | 120.9 251.1 |
| INDY GROUND: | 121.8 121.9 |
| INDIANAPOLIS APPROACH: | 119.05 ;WEST OF ACTIVE RWY 127.15 ;EAST OF ACTIVE RWY 128.175 317.8 |
| INDIANAPOLIS DEPARTURE: | 119.05 ;WEST 124.95 ;EAST 317.8 |
| IC: | 128.175 |
| CLEARANCE DELIVERY: | 128.75 251.1 |
| UNICOM: | 122.950 |
| PRE TAXI CLNC: | 128.75 |
| CLASS C: | 119.05 ;WEST OF ACTIVE RWY 127.15 ;EAST OF ACTIVE RWY 317.8 |
| RACYR STAR: | 128.175 317.8 |
| EMERG: | 121.5 243.0 |
| CLANG STAR: | 128.175 317.8 |
| ASOS at EYE (6.5 N): | 121.575 317-329-1754 |
| AWOS-3 at 8A4 (7.3 NE): | 135.525 317-955-3160 |
| AWOS-3 at 22L (7.5 NE): | 127.075 317-964-9799 |
- SAID IN USE. OPERATE TRANSPONDERS WITH ALTITUDE REPORTING MODE AND ADS-B (IF EQUIPPED) ENABLED ON ALL AIRPORT SURFACES.
Nearby Navigation Aids
|
| ||||||||||||||||||||||||||||||||||||||||||||||||||||||||||||
Runway 05L/23R
| Dimensions: | 11200 x 150 feet / 3414 x 46 meters | |
|---|---|---|
| Surface: | Concrete / Grooved in Good Condition | |
| Weight Limits: | S-145, D-300, ST-550
PCR VALUE: 1360/R/D/W/U
| |
| Edge Lighting: | High Intensity | |
| Runway 05L | Runway 23R | |
| Coordinates: | N39°42.38' / W86°19.25' | N39°43.70' / W86°17.57' |
| Elevation: | 738.0 | 782.9 |
| Traffic Pattern: | Left | Left |
| Runway Heading: | 45° True | 225° True |
| Declared Distances: | TORA:11200 TODA:11200 ASDA:11200 LDA:11200 | TORA:11200 TODA:11200 ASDA:11200 LDA:11200 |
| Markings: | Precision Instrument in good condition. | Precision Instrument in good condition. |
| Glide Slope Indicator | P4L (3.00° Glide Path Angle) | P4L (3.00° Glide Path Angle) |
| RVR Equipment | Touchdown Midfield Rollout | Touchdown Midfield Rollout |
| Approach Lights: | ALSF2 Standard 2,400 Foot High-intensity Approach Lighting System with sequenced flashers, CATEGORY II or III Configuration. | MALSR 1,400 Foot Medium-intensity Approach Lighting System with runway alignment indicator lights. |
| Centerline Lights: | Yes | Yes |
Runway 05R/23L
| Dimensions: | 10000 x 150 feet / 3048 x 46 meters | |
|---|---|---|
| Surface: | Concrete / Grooved in Good Condition | |
| Weight Limits: | S-145, D-300, ST-550
PCR VALUE: 1510/R/D/W/T
| |
| Edge Lighting: | High Intensity | |
| Runway 05R | Runway 23L | |
| Coordinates: | N39°42.01' / W86°18.27' | N39°43.19' / W86°16.77' |
| Elevation: | 788.8 | 787.6 |
| Traffic Pattern: | Left | Left |
| Runway Heading: | 45° True | 225° True |
| Declared Distances: | TORA:10000 TODA:10000 ASDA:10000 LDA:10000 | TORA:10000 TODA:10000 ASDA:10000 LDA:10000 |
| Markings: | Precision Instrument in good condition. | Precision Instrument in good condition. |
| Glide Slope Indicator | P4L (3.00° Glide Path Angle) | P4L (3.00° Glide Path Angle) PAPI UNUSBL BYD 7 DEGS LEFT OF CNTRLN. |
| RVR Equipment | Touchdown Midfield Rollout | Touchdown Midfield Rollout |
| Approach Lights: | ALSF2 Standard 2,400 Foot High-intensity Approach Lighting System with sequenced flashers, CATEGORY II or III Configuration. | MALSR 1,400 Foot Medium-intensity Approach Lighting System with runway alignment indicator lights. |
| Centerline Lights: | Yes | Yes |
Runway 14/32
| Dimensions: | 7278 x 150 feet / 2218 x 46 meters | |
|---|---|---|
| Surface: | Asphalt / Grooved in Good Condition | |
| Weight Limits: | S-145, D-300, ST-550
PCR VALUE: 710/F/D/W/T
| |
| Edge Lighting: | High Intensity | |
| Runway 14 | Runway 32 | |
| Coordinates: | N39°44.05' / W86°17.33' | N39°43.21' / W86°16.22' |
| Elevation: | 787.5 | 782.6 |
| Traffic Pattern: | Left | Left |
| Runway Heading: | 135° True | 315° True |
| Declared Distances: | TORA:7278 TODA:7278 ASDA:7278 LDA:7278 | TORA:7278 TODA:7278 ASDA:7278 LDA:7278 |
| Markings: | Precision Instrument in good condition. | Precision Instrument in good condition. |
| Glide Slope Indicator | P4L (3.00° Glide Path Angle) PAPI UNUSBL BYD 8 DEGS RIGHT OF CNTRLN. | P4R (3.00° Glide Path Angle) |
| RVR Equipment | Touchdown Rollout | Touchdown Rollout |
| Approach Lights: | MALSR 1,400 Foot Medium-intensity Approach Lighting System with runway alignment indicator lights. | MALSR 1,400 Foot Medium-intensity Approach Lighting System with runway alignment indicator lights. |
| Obstacles: | 61 ft Antenna 2370 ft from runway, 756 ft left of center | |
Services Available
| Fuel: | 100LL (blue), Jet-A, Jet A-1+ |
|---|---|
| Transient Storage: | Tiedowns |
| Airframe Repair: | MAJOR |
| Engine Repair: | MAJOR |
| Bottled Oxygen: | HIGH |
| Bulk Oxygen: | HIGH |
| Other Services: | CARGO HANDLING SERVICES |
Ownership Information
| Ownership: | Publicly owned | |
|---|---|---|
| Owner: | INDIANAPOLIS AIRPORT AUTH | |
| 7800 COL. H. WEIR COOK MEMORIAL DR. | ||
| INDIANAPOLIS, IN 46241 | ||
| 317-487-9594 | ||
| Manager: | MARIO RODRIGUEZ | |
| 7800 COL. H. WEIR COOK MEMORIAL DR. | ||
| INDIANAPOLIS, IN 46241 | ||
| 317-487-9594 | ||
Other Remarks
- PRIM STUDENT TGL NOT PMTD.
- TWY V IS NOT AVBL FOR ACR OPS.
- LARGE FLOCKS OF BIRDS ON & INVOF ARPT.
- NOISE ABATEMENT PROCEDURES IN EFFECT CTC ARPT MGR.
- BE ALERT TO CLOSE PROXIMITY OF RWY 14/32 TO NORTHEAST RAMP.
- TWY H RUNS CONTIGUOUS AT NORTHEAST RAMP.
Weather Minimums
Standard Terminal Arrival (STAR) Charts
Instrument Approach Procedure (IAP) Charts
- ILS OR LOC RWY 05L

- ILS OR LOC RWY 05R

- ILS OR LOC RWY 14

- ILS OR LOC RWY 23L

- ILS OR LOC RWY 23R

- ILS OR LOC RWY 32

- ILS RWY 05L (SA CAT I)

- ILS RWY 05R (SA CAT I)

- ILS RWY 23R (SA CAT I - II)

- ILS RWY 05L (CAT II - III)

- ILS RWY 05R (CAT II - III)

- ILS RWY 23L (SA CAT II)

- RNAV (RNP) Z RWY 05L

- RNAV (RNP) Z RWY 05R

- RNAV (RNP) Z RWY 14

- RNAV (RNP) Z RWY 23L

- RNAV (RNP) Z RWY 23R

- RNAV (RNP) Z RWY 32

- RNAV (GPS) Y RWY 05L

- RNAV (GPS) Y RWY 05R

- RNAV (GPS) Y RWY 14

- RNAV (GPS) Y RWY 23L

- RNAV (GPS) Y RWY 23R

- RNAV (GPS) Y RWY 32

Departure Procedure (DP) Charts
Nearby Airports with Instrument Procedures
| ID | Name | Heading / Distance | ||
|---|---|---|---|---|
![]() |
KEYE | Eagle Creek Airpark Airport | 000° | 6.8 |
![]() |
8A4 | Indianapolis Downtown Heliport | 066° | 7.3 |
![]() |
2R2 | Hendricks County-Gordon Graham Field Airport | 281° | 8.5 |
![]() |
KHFY | Indy South Greenwood Airport | 119° | 11.0 |
![]() |
KUMP | Indianapolis Metro Airport | 041° | 17.4 |
![]() |
KTYQ | Indianapolis Exec Airport | 006° | 18.8 |
![]() |
KMQJ | Indianapolis Regional Airport | 067° | 19.8 |
![]() |
KGEZ | Shelbyville Municipal Airport | 109° | 24.1 |
![]() |
KGPC | Putnam County Regional Airport | 258° | 24.6 |
![]() |
5I4 | Sheridan Airport | 007° | 27.9 |
![]() |
KCFJ | Crawfordsville Regional Airport | 298° | 32.8 |
![]() |
KBAK | Columbus Municipal Airport | 145° | 33.0 |










