Login
Register
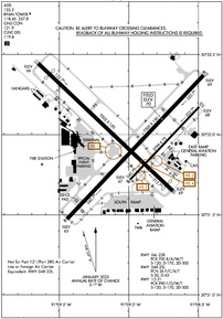
BTR
Baton Rouge Metro, Ryan Field Airport
Official FAA Data Effective 2025-12-25 0901Z
From the Flight Deck
VFR Chart of KBTR
Sectional Charts at SkyVector.com
IFR Chart of KBTR
Enroute Charts at SkyVector.com
Location Information for KBTR
Coordinates: N30°31.98' / W91°8.99'Located 04 miles N of Baton Rouge, Louisiana on 1250 acres of land. View all Airports in Louisiana.
Surveyed Elevation is 69 feet MSL.
Operations Data
|
|
Airport Communications
| ATIS: | 125.2 (225-354-2170) |
|---|---|
| ASOS: | Tel. 225-370-8455 |
| RYAN TOWER: | 118.45 257.8 |
| RYAN GROUND: | 121.9 |
| BATON ROUGE APPROACH: | 120.3 ;WEST 133.225 ;EAST 278.3 |
| BATON ROUGE DEPARTURE: | 120.3 ;WEST 133.225 ;EAST 278.3 |
| IC: | 120.3 ;WEST |
| CLEARANCE DELIVERY: | 119.4 |
| UNICOM: | 122.950 |
| CLASS C: | 120.3 ;WEST 133.225 ;EAST 278.3 |
| CTAF: | 118.450 |
| EMERG: | 121.5 243.0 |
| AWOS-3PT at HZR (20.3 NW): | 121.250 225-638-3107 |
| AWOS-3PT at REG (24.1 SE): | 121.175 225-644-4014 |
| ATIS at HDC (37.8 E): | 118.325 |
- APCH/DEP SVC PRVDD BY HOUSTON ARTCC (ZHU) ON FREQS 126.35/338.25 (SLIDELL RCAG) WHEN BATON ROUGE APCH CLSD.
Nearby Navigation Aids
|
| ||||||||||||||||||||||||||||||||||||||||||||||||||||||||||||
Runway 04L/22R
| Dimensions: | 7500 x 150 feet / 2286 x 46 meters | |
|---|---|---|
| Surface: | Concrete / Grooved in Excellent Condition | |
| Weight Limits: | S-120, D-170, ST-300
PCR VALUE: 700/R/A/W/T
| |
| Edge Lighting: | High Intensity | |
| Runway 04L | Runway 22R | |
| Coordinates: | N30°31.47' / W91°9.45' | N30°32.37' / W91°8.46' |
| Elevation: | 65.4 | 69.3 |
| Traffic Pattern: | Left | Right |
| Runway Heading: | 43° True | 223° True |
| Declared Distances: | TORA:7500 TODA:7500 ASDA:7500 LDA:7500 | TORA:7500 TODA:7500 ASDA:7500 LDA:7500 |
| Markings: | Non-Precision Instrument in good condition. | Precision Instrument in good condition. |
| Glide Slope Indicator | P4L (3.00° Glide Path Angle) | |
| RVR Equipment | Touchdown Rollout | Touchdown Rollout |
| Approach Lights: | MALSR 1,400 Foot Medium-intensity Approach Lighting System with runway alignment indicator lights. | |
| Centerline Lights: | Yes | Yes |
| Obstacles: | 52 ft Pole 2200 ft from runway, 125 ft left of center | |
Runway 13/31
| Dimensions: | 7005 x 150 feet / 2135 x 46 meters | |
|---|---|---|
| Surface: | Asphalt / Grooved in Good Condition | |
| Weight Limits: | S-120, D-170, ST-300
PCR VALUE: 990/F/D/W/T
| |
| Edge Lighting: | High Intensity | |
| Runway 13 | Runway 31 | |
| Coordinates: | N30°32.44' / W91°9.65' | N30°31.65' / W91°8.69' |
| Elevation: | 65.9 | 69.0 |
| Traffic Pattern: | Left | Left |
| Runway Heading: | 133° True | 313° True |
| Displaced Threshold: | 597 Feet | 314 Feet |
| Declared Distances: | TORA:7004 TODA:7004 ASDA:6317 LDA:5720 | TORA:7004 TODA:7004 ASDA:6407 LDA:6094 |
| Markings: | Precision Instrument in good condition. | Non-Precision Instrument in good condition. |
| Glide Slope Indicator | V4L (3.00° Glide Path Angle) | |
| RVR Equipment | Touchdown | Rollout |
| Approach Lights: | MALSR 1,400 Foot Medium-intensity Approach Lighting System with runway alignment indicator lights. | MALS 1,400 Foot Medium-intensity Approach Lighting System. |
| Obstacles: | 76 ft Pole 2345 ft from runway, 103 ft right of center +7 FT FENCE 200 FT 406 FT LEFT. |
11 ft Road 230 ft from runway, 503 ft right of center +68 FT TREE, 1578 FT, 516 RIGHT. +7 FT FENCE 200 FT 496 FT RIGHT. |
Runway 04R/22L
RWY 04R/22L NOT AVBL FOR PART 121/PART 380 OPS WITH SKED PAX CARRYING OPS MORE THAN 9 PAX SEATS AND NON-SKED PAX CARRYING OPS MORE THAN 30 PAX SEATS. | ||
| Dimensions: | 3799 x 75 feet / 1158 x 23 meters | |
|---|---|---|
| Surface: | Asphalt in Fair Condition | |
| Weight Limits: | 26 /F/C/X/T, S-30, D-45 | |
| Edge Lighting: | Medium Intensity | |
| Runway 04R | Runway 22L | |
| Coordinates: | N30°31.72' / W91°8.99' | N30°32.17' / W91°8.49' |
| Elevation: | 66.5 | 68.3 |
| Traffic Pattern: | Right | |
| Runway Heading: | 43° True | 223° True |
| Declared Distances: | TORA:3799 TODA:3799 ASDA:3799 LDA:3799 | TORA:3799 TODA:3799 ASDA:3799 LDA:3799 |
| Markings: | Basic in good condition. | Basic in good condition. |
Services Available
| Fuel: | 100LL (blue), Jet-A |
|---|---|
| Transient Storage: | Hangars,Tiedowns |
| Airframe Repair: | MAJOR |
| Engine Repair: | MAJOR |
| Bottled Oxygen: | HIGH |
| Bulk Oxygen: | HIGH |
| Other Services: | AIR FREIGHT SERVICES,AVIONICS,CARGO HANDLING SERVICES,CHARTER SERVICE,PILOT INSTRUCTION,AIRCRAFT RENTAL,AIRCRAFT SALES |
Ownership Information
| Ownership: | Publicly owned | |
|---|---|---|
| Owner: | EAST BATON ROUGE PARISH | CITY OF BATON ROUGE AND PARISH OF EAST BATON ROUGE. |
| PO BOX 1471 | ||
| BATON ROUGE, LA 70821 | ||
| Manager: | MIKE EDWARDS | |
| 9430 JACKIE COCHRAN DR. STE 300 | ||
| BATON ROUGE, LA 70807 | ||
| 225-355-0333 | ||
Other Remarks
- WHEN ATCT CLSD USE FREQ 121.9 TO CTC ARFF FOR EMERG REQ.
- FOR CD IF UNA TO CTC ON FSS FREQ, CTC HOUSTON ARTCC AT 281-230-5622.
- TWY E, TWY F BTN RWY 04R-22L AND AER 31 NOT AVBL FOR SKEDD ACR OPS.
- TWY F BTN RWY 04R-22L AND AER 31 RDCS TO 40 FT WID.
- DSGND FREE PUB USE PRKG FOR GA ACFT IN THE BACK ROW OF THE S RAMP.
- MIGRATORY BIRDS ON & INVOF ARPT DURING MONTHS OF MAR/APR/SEP & OCT.
- TWY E WEIGHT RESTRICTIONS: SINGLE 44,000 LBS; DUAL 55,000 LBS; DUAL TANDEM 93,000 LBS.
- RAMP & TWY LANE ADJ TO THE COMMERICAL AIR CARRIER TERMINAL BLDG IS LMTD TO COMMERICAL AIR CARRIER AND PSGR AIRTAXI ACFT ONLY.
- RWY 4R/22L AND TWY E ARE SIMILAR IN APPRNC. USE CTN WHEN EXITING RWY 13/31.
- ACTVT MALSR RYS 22R & 13 AND MALS RY 31 - CTAF. WHEN ATCT CLSD HIRL RYS 13/31 & 04L/22R PRESET LOW INTST; TO INCR INTST ACTVT - CTAF. MIRL RY 04R/22L NOT AVBL.
Weather Minimums
Instrument Approach Procedure (IAP) Charts
Nearby Airports with Instrument Procedures
| ID | Name | Heading / Distance | ||
|---|---|---|---|---|
![]() |
KHZR | False River Regional Airport | 303° | 20.3 |
![]() |
KREG | Louisiana Regional Airport | 153° | 24.2 |
![]() |
KHDC | Hammond Northshore Regional Airport | 090° | 37.9 |
![]() |
KAPS | Port of South Louisiana Exec Regional Airport | 132° | 39.7 |
![]() |
KLFT | Lafayette Regional/Paul Fournet Field Airport | 245° | 47.7 |
![]() |
KARA | Acadiana Regional Airport | 232° | 48.3 |
![]() |
KOPL | St Landry Parish Airport | 272° | 49.2 |
![]() |
L83 | Thibodaux Municipal Airport | 160° | 49.8 |
![]() |
KPTN | Harry P Williams Memorial Airport | 191° | 50.3 |
![]() |
KMCB | Mc Comb/Pike County/John E Lewis Field Airport | 042° | 52.1 |
![]() |
KMSY | Louis Armstrong New Orleans International Airport | 124° | 56.4 |
![]() |
KMKV | Marksville Municipal Airport | 305° | 58.2 |









