Login
Register
CRP
Corpus Christi International Airport
Official FAA Data Effective 2026-01-22 0901Z
From the Flight Deck
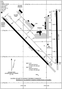
VFR Chart of KCRP
Sectional Charts at SkyVector.com
IFR Chart of KCRP
Enroute Charts at SkyVector.com
Location Information for KCRP
Coordinates: N27°46.33' / W97°30.15'Located 05 miles W of Corpus Christi, Texas on 2457 acres of land. View all Airports in Texas.
Surveyed Elevation is 46 feet MSL.
Operations Data
|
|
Airport Communications
| ATIS: | 126.8 |
|---|---|
| ASOS: | Tel. 361-267-5360 |
| CORPUS TOWER: | 119.4 257.8 |
| CORPUS GROUND: | 121.9 269.15 |
| CORPUS APPROACH: | 120.9 ;RWY 13, 18, 340-045 120.9 ;RWY 31, 36, 270-045 124.8 ;RWY 13, 18, 150-339 124.8 ;RWY 31, 36, 150-269 125.4 ;046-149 233.7 273.45 ;RWY 13, 18, 150-339 273.45 ;RWY 31, 36, 150-269 307.9 ;046-149 348.725 ;RWY 13, 18, 340-045 348.725 ;RWY 31, 36, 270-045 |
| CORPUS DEPARTURE: | 120.9 ;RWY 13, 18, 340-045 120.9 ;RWY 31, 36, 270-045 124.8 ;RWY 13, 18, 150-339 124.8 ;RWY 31, 36, 150-269 125.4 ;046-149 273.45 ;RWY 13, 18, 150-339 273.45 ;RWY 31, 36, 150-269 307.9 ;046-149 348.725 ;RWY 13, 18, 340-045 348.725 ;RWY 31, 36, 270-045 |
| IC: | 120.9 ;RWY 13, 18, 340-045 120.9 ;RWY 31, 36, 270-045 348.725 ;RWY 13, 18, 340-045 348.725 ;RWY 31, 36, 270-045 |
| CLEARANCE DELIVERY: | 118.55 |
| UNICOM: | 122.950 |
| CG OPS: | 157.175 345.0 |
| EMERG: | 121.5 243.0 |
| CLASS C: | 120.9 ;RWY 13, 18, 340-045 120.9 ;RWY 31, 36, 270-045 124.8 ;RWY 13, 18, 150-339 124.8 ;RWY 31, 36, 150-269 125.4 ;046-149 273.45 ;RWY 13, 18, 150-339 273.45 ;RWY 31, 36, 150-269 307.9 ;046-149 348.725 ;RWY 13, 18, 340-045 348.725 ;RWY 31, 36, 270-045 |
| AWOS-3 at RBO (9.9 W): | 118.175 361-767-1982 |
| ATIS at NGP (12.2 SE): | 127.9 |
| AWOS-3 at T69 (16.3 N): | 118.25 361-364-1844 |
- CORPUS CHRISTI INTL TRACON HAS TWO APCH/DEP CALLS.
- COMMUNICATIONS AVAILABLE ON THE GROUND THRU ALICE FSS ON FREQ 122.65.
Nearby Navigation Aids
|
| ||||||||||||||||||||||||||||||||||||
Runway 13/31
| Dimensions: | 7510 x 150 feet / 2289 x 46 meters | |
|---|---|---|
| Surface: | Asphalt / Grooved in Good Condition | |
| Weight Limits: | S-150, D-170, ST-245
PCR VALUE: 507/F/D/X/U
| |
| Edge Lighting: | High Intensity | |
| Runway 13 | Runway 31 | |
| Coordinates: | N27°46.74' / W97°30.93' | N27°45.85' / W97°29.96' |
| Elevation: | 46.1 | 41.6 |
| Traffic Pattern: | Right | Left |
| Runway Heading: | 136° True | 316° True |
| Declared Distances: | TORA:7510 TODA:7510 ASDA:7510 LDA:7510 | TORA:7510 TODA:7510 ASDA:7510 LDA:7510 |
| Markings: | Precision Instrument in good condition. | Precision Instrument in good condition. |
| Glide Slope Indicator | P4L (3.00° Glide Path Angle) | P4L (3.00° Glide Path Angle) |
| RVR Equipment | Touchdown | |
| Approach Lights: | MALSR 1,400 Foot Medium-intensity Approach Lighting System with runway alignment indicator lights. | MALSR 1,400 Foot Medium-intensity Approach Lighting System with runway alignment indicator lights. |
| Obstacles: | 33 ft Pole 1782 ft from runway, 640 ft left of center | |
Runway 18/36
| Dimensions: | 6080 x 150 feet / 1853 x 46 meters | |
|---|---|---|
| Surface: | Asphalt / Grooved in Good Condition | |
| Weight Limits: | S-150, D-170, ST-245
PCR VALUE: 507/F/D/X/U
| |
| Edge Lighting: | High Intensity | |
| Runway 18 | Runway 36 | |
| Coordinates: | N27°46.88' / W97°29.78' | N27°45.87' / W97°29.76' |
| Elevation: | 39.5 | 39.5 |
| Traffic Pattern: | Left | Right |
| Runway Heading: | 179° True | 359° True |
| Declared Distances: | TORA:6080 TODA:6080 ASDA:6080 LDA:6080 | TORA:6080 TODA:6080 ASDA:6080 LDA:6080 |
| Markings: | Precision Instrument in good condition. | Precision Instrument in good condition. |
| Glide Slope Indicator | P4L (3.00° Glide Path Angle) | |
| RVR Equipment | Touchdown | |
| Approach Lights: | MALSR 1,400 Foot Medium-intensity Approach Lighting System with runway alignment indicator lights. | MALSR 1,400 Foot Medium-intensity Approach Lighting System with runway alignment indicator lights. |
| Obstacles: | 43 ft Pole 1930 ft from runway, 402 ft right of center | |
Services Available
| Fuel: | 100LL (blue), Jet-A |
|---|---|
| Transient Storage: | Hangars,Tiedowns |
| Airframe Repair: | MAJOR |
| Engine Repair: | MAJOR |
| Bottled Oxygen: | HIGH |
| Bulk Oxygen: | HIGH |
| Other Services: | AIR FREIGHT SERVICES,AVIONICS,CARGO HANDLING SERVICES,CHARTER SERVICE,PILOT INSTRUCTION,AIRCRAFT RENTAL,AIRCRAFT SALES |
Ownership Information
| Ownership: | Publicly owned | |
|---|---|---|
| Owner: | CITY OF CORPUS CHRISTI | |
| 1201 LEOPARD ST | ||
| CORPUS CHRISTI, TX 78401-2825 | ||
| 361-880-3220 | ||
| Manager: | KEVIN SMITH | |
| 1000 INTERNATIONAL DR | ||
| CORPUS CHRISTI, TX 78406 | ||
| 361-289-0171 | ||
Other Remarks
- CABANISS FIELD LCTD 5 MILES SE OF ARPT MAY BE MISTAKEN FOR CORPUS CHRISTI INTL ARPT. VFR TFC MAY BE OPERATING IN THE CABANISS FIELD TFC PATTERN.
- BIRDS ON & INVOF ARPT YEAR ROUND.
- CUDDIHY FIELD (CLSD ARPT) IS LCTD 4 MILES SOUTH OF ARPT MAY BE MISTAKEN FOR CORPUS CHRISTI INTL ARPT.
- ACFT AT TRML GATES ADZ GND CTL PRIOR TO PUSH.
- UNMANNED ACFT MAY BE OPRG 3 MI WEST OF ARPT DRG DALGT HRS AT OR BLW 400 FT AGL.
- CG - OFFL BUS, MIN 24 HR PPR. CTC CORPUS CHRISTI AIR 345.0 15 MIN PRIOR TO ENTERING CG RAMP. NO TRAN QRTS OR GOVT TRANSPORTATION AVBL. IF DESTN CG, INCL CGAS CORPUS CHRISTI IN RMK SEC OF FLT PLAN. SECTOR COMMAND CENTER: C361-939-0450.
Weather Minimums
Instrument Approach Procedure (IAP) Charts
Nearby Airports with Instrument Procedures
| ID | Name | Heading / Distance | ||
|---|---|---|---|---|
![]() |
KRBO | Nueces County Airport | 272° | 10.0 |
![]() |
KNGP | Corpus Christi NAS (Truax Field) Airport | 112° | 12.3 |
![]() |
T69 | Sinton Airport | 352° | 16.1 |
![]() |
KTFP | Ingleside Regional Airport | 061° | 17.6 |
![]() |
KRAS | Mustang Beach Airport | 083° | 22.1 |
![]() |
KNQI | Kingsville NAS Airport | 225° | 22.9 |
![]() |
KALI | Alice International Airport | 266° | 28.0 |
![]() |
KNOG | Orange Grove Nalf Airport | 284° | 29.7 |
![]() |
KRKP | Aransas County Airport | 052° | 30.8 |
![]() |
KIKG | Kleberg County Airport | 244° | 31.1 |
![]() |
TX2 | Chase Field Industrial Airport | 346° | 36.3 |
![]() |
KBEA | Beeville Municipal Airport | 336° | 38.6 |







