Login
Register
ISP
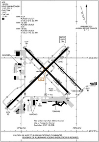
Long Island Mac Arthur Airport
Official FAA Data Effective 2026-02-19 0901Z
From the Flight Deck
VFR Chart of KISP
Sectional Charts at SkyVector.com
IFR Chart of KISP
Enroute Charts at SkyVector.com
Location Information for KISP
Coordinates: N40°47.77' / W73°6.04'Located 40 miles E of New York, New York on 1311 acres of land. View all Airports in New York.
Surveyed Elevation is 98 feet MSL.
Operations Data
|
|
Airport Communications
| ATIS: | 120.725 |
|---|---|
| ASOS: | 120.725 Tel. 631-471-0131 |
| LONG ISLAND TOWER: | 119.3 124.3 239.3 335.5 |
| LONG ISLAND GROUND: | 135.3 |
| NEW YORK APPROACH: | 120.05 343.75 |
| NEW YORK DEPARTURE: | 120.05 343.75 |
| IC: | 120.05 343.75 |
| CLEARANCE DELIVERY: | 121.85 |
| CLASS C: | 120.05 120.05 ;180-329 120.05 ;330-179 343.75 |
| ARNG OPS: | 45.0 |
| EMERG: | 121.5 243.0 |
| CTAF: | 119.300 |
| NELIE STAR: | 120.05 343.75 |
| UNICOM: | 122.950 |
| ASOS at HWV (10.7 E): | 119.625 631-399-7095 |
| ATIS at FRG (14.8 W): | 126.65 |
| ASOS at FRG (14.8 W): | 631-752-8129 |
- CLASS C HRS SAME AS ATCT HRS.
Nearby Navigation Aids
|
| ||||||||||||||||||||||||||||||||||||||||||||||||||||||||||||
Runway 06/24
| Dimensions: | 7006 x 150 feet / 2135 x 46 meters | |
|---|---|---|
| Surface: | Asphalt / Grooved in Good Condition | |
| Weight Limits: | S-100, D-210, ST-300
PCR VALUE: 550/F/A/X/T
| |
| Edge Lighting: | High Intensity | |
| Runway 06 | Runway 24 | |
| Coordinates: | N40°47.32' / W73°6.75' | N40°48.13' / W73°5.67' |
| Elevation: | 92.3 | 98.7 |
| Traffic Pattern: | Left | Right |
| Runway Heading: | 45° True | 225° True |
| Declared Distances: | TORA:7006 TODA:7006 ASDA:7006 LDA:7006 | TORA:7006 TODA:7006 ASDA:7006 LDA:7006 |
| Markings: | Precision Instrument in good condition. | Precision Instrument in good condition. |
| Glide Slope Indicator | P4L (3.00° Glide Path Angle) | P4L (3.00° Glide Path Angle) |
| RVR Equipment | Touchdown Rollout | Touchdown Rollout |
| Approach Lights: | MALSR 1,400 Foot Medium-intensity Approach Lighting System with runway alignment indicator lights. NSTD MALSR; THREE OUTERMOST FLASHER LGTS EXCEED STD SPACING. | MALSR 1,400 Foot Medium-intensity Approach Lighting System with runway alignment indicator lights. |
| Centerline Lights: | Yes | Yes |
| Obstacles: | 38 ft Tree 1340 ft from runway, 350 ft left of center | |
Runway 15R/33L
| Dimensions: | 5186 x 150 feet / 1581 x 46 meters | |
|---|---|---|
| Surface: | Asphalt / Grooved in Excellent Condition | |
| Weight Limits: | S-100, D-170, ST-300
PCR VALUE: 590/F/B/X/T
| |
| Edge Lighting: | Medium Intensity | |
| Runway 15R | Runway 33L | |
| Coordinates: | N40°48.13' / W73°6.44' | N40°47.53' / W73°5.65' |
| Elevation: | 98.5 | 78.5 |
| Traffic Pattern: | Right | Left |
| Runway Heading: | 135° True | 315° True |
| Declared Distances: | TORA:5186 TODA:5186 ASDA:5186 LDA:5186 | TORA:5186 TODA:5186 ASDA:5186 LDA:5186 |
| Markings: | Non-Precision Instrument in good condition. | Non-Precision Instrument in good condition. |
| Glide Slope Indicator | P4L (3.10° Glide Path Angle) | P4L (3.00° Glide Path Angle) |
| Obstacles: | 39 ft Trees 1300 ft from runway, 300 ft right of center | |
Runway 15L/33R
RWY 15L/33R NOT AVBL FOR PART 121/PART 380 OPS WITH SKED PAX CARRYING OPS MORE THAN 9 PAX SEATS AND NON-SKED PAX CARRYING OPS MORE THAN 30 PAX SEATS. | ||
| Dimensions: | 3175 x 75 feet / 968 x 23 meters | |
|---|---|---|
| Surface: | Asphalt in Fair Condition | |
| Weight Limits: | S-25
PCR VALUE: 280/F/B/X/T
| |
| Runway 15L | Runway 33R | |
| Coordinates: | N40°47.94' / W73°5.90' | N40°47.57' / W73°5.42' |
| Elevation: | 91.2 | 81.4 |
| Traffic Pattern: | Left | Right |
| Runway Heading: | 135° True | 315° True |
| Declared Distances: | TORA:3175 TODA:3175 ASDA:3175 LDA:3175 | TORA:3175 TODA:3175 ASDA:3175 LDA:3175 |
| Markings: | Non-Standard in good condition. | Non-Standard in good condition. |
Helipad H1
LCTD ON TWY W SOUTH OF INT OF TWY B. | ||
| Dimensions: | 50 x 50 feet / 15 x 15 meters | |
|---|---|---|
| Surface: | Asphalt in Good Condition | |
| Coordinates: | N40°47.93' / W73°6.43' | N0°0.00' / E0°0.00' |
| Elevation: | 94.0 | |
| Markings: | Basic in good condition. | |
Helipad H2
LCTD ON TWY C NORTH OF TWY S. | ||
| Dimensions: | 50 x 50 feet / 15 x 15 meters | |
|---|---|---|
| Surface: | Asphalt in Good Condition | |
| Coordinates: | N40°47.50' / W73°6.06' | N0°0.00' / E0°0.00' |
| Elevation: | 80.5 | |
| Markings: | Basic in good condition. | |
Services Available
| Fuel: | 100LL (blue), Jet-A |
|---|---|
| Transient Storage: | Hangars,Tiedowns |
| Airframe Repair: | MAJOR |
| Engine Repair: | MAJOR |
| Bottled Oxygen: | HIGH/LOW |
| Bulk Oxygen: | HIGH/LOW |
| Other Services: | AIR FREIGHT SERVICES,CHARTER SERVICE,PILOT INSTRUCTION,AIRCRAFT RENTAL,AIRCRAFT SALES |
Ownership Information
| Ownership: | Publicly owned | |
|---|---|---|
| Owner: | TOWN OF ISLIP | |
| 655 MAIN ST | ||
| ISLIP, NY 11751 | ||
| 631-467-3300 | ||
| Manager: | ROBERT A. SCHNEIDER | |
| 100 ARRIVAL AVE | ||
| RONKONKOMA, NY 11779-7398 | ||
| 631-467-3300 | ||
Other Remarks
- ADZY:TFC LNDG RWY 33L HIGH DENSITY VFR TFC OPERG 600 FT MSL & BLW VCNTY BAYPORT AERODROME 3 MILES SE.
- FOR CD WHEN ATCT CLSD CTC NEW YORK APCH AT 516-683-2449.
- BIRD ACTVTY ON & INVOF ARPT.
- TWY S UNLGTD EAST OF TRML APN.
- RWY 15L/33R CLSD TO FIXED WING ACFT AT NGT & AVBL FOR TXG.
- UPDRAFTS MAY BE ENCOUNTERED INVOF POWER PLANT 1.5 NM NE RWY 24.
- RWY 15L/33R NOT AVBL FOR NIGHT TKOF AND LDG OPS. LIMITED TO ACFT 48,000 LBS OR LESS.
- VOLUNTARY NS ABTMT PROCEDURES IN EFFECT FOR FIXED WING ACFT AND HELICOPTERS. CTC AIRPORT MANAGEMENT (631)467-3300.
- NSTD MKGS, THR BAR MISG ON RWY END.
- NSTD MKGS, THR BAR MISG ON RWY END.
- DUSK TO DAWN. WHEN ATCT CLSD ACTVT MIRL RWY 15R/33L; TWY LGTS- CTAF. HIRL RWY 06/24 PRESET LOW INTST ACTVT - CTAF; MALSR RWY 06 & 24 PRESET MED INTST FOR PREVAILING WIND RWY.
Weather Minimums
Standard Terminal Arrival (STAR) Charts
Instrument Approach Procedure (IAP) Charts
Departure Procedure (DP) Charts
Nearby Airports with Instrument Procedures
| ID | Name | Heading / Distance | ||
|---|---|---|---|---|
![]() |
KHWV | Brookhaven Airport | 081° | 10.8 |
![]() |
KFRG | Republic Airport | 254° | 14.8 |
![]() |
KFOK | Francis S Gabreski Airport | 082° | 21.5 |
![]() |
KBDR | Bridgeport/Sikorsky Airport | 356° | 22.1 |
![]() |
87N | Southampton Heliport | 083° | 29.0 |
![]() |
KHVN | Tweed/New Haven Airport | 018° | 29.7 |
![]() |
KHPN | Westchester County Airport | 300° | 32.0 |
![]() |
KJFK | John F Kennedy International Airport | 253° | 32.3 |
![]() |
KLGA | Laguardia Airport | 268° | 35.2 |
![]() |
KDXR | Danbury Municipal Airport | 333° | 38.6 |
![]() |
6N5 | East 34th Street Heliport | 265° | 39.9 |
![]() |
KJPX | East Hampton Town Airport | 075° | 39.9 |









