Login
Register
PNE
Northeast Philadelphia Airport
Official FAA Data Effective 2026-02-19 0901Z
From the Flight Deck
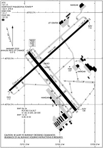
VFR Chart of KPNE
Sectional Charts at SkyVector.com
IFR Chart of KPNE
Enroute Charts at SkyVector.com
Location Information for KPNE
Coordinates: N40°4.92' / W75°0.63'Located 10 miles NE of Philadelphia, Pennsylvania on 1150 acres of land. View all Airports in Pennsylvania.
Surveyed Elevation is 119 feet MSL.
Operations Data
|
|
Airport Communications
| ATIS: | 121.15 |
|---|---|
| ASOS: | Tel. 215-897-9068 |
| NORTHEAST PHILADELPHIA TOWER: | 126.9 278.8 |
| NORTHEAST PHILADELPHIA GROUND: | 121.7 |
| PHILADELPHIA APPROACH: | 123.8 291.7 |
| PHILADELPHIA DEPARTURE: | 123.8 291.7 |
| CLEARANCE DELIVERY: | 127.25 |
| UNICOM: | 122.950 |
| CTAF: | 126.900 |
| ASOS at VAY (11.3 SE): | 119.325 609-267-1176 |
| AWOS-3 at LOM (12.2 W): | 118.925 215-646-1068 |
| ASOS at TTN (14.7 NE): | 126.775 609-538-8690 |
- CLEARANCE DELIVERY PHILADELPHIA APCH TF 800-354-9884.
- EMERG FREQ 121.5 NOT AVAILABLE AT TOWER.
Nearby Navigation Aids
|
| ||||||||||||||||||||||||||||||||||||||||||||||||||||||||||||
Runway 06/24
| Dimensions: | 7000 x 100 feet / 2134 x 30 meters | |
|---|---|---|
| Surface: | Asphalt / Grooved in Good Condition | |
| Weight Limits: | 80 /F/A/X/T, S-120, D-250, ST-550 | |
| Edge Lighting: | High Intensity | |
| Runway 06 | Runway 24 | |
| Coordinates: | N40°4.65' / W75°1.22' | N40°5.42' / W75°0.09' |
| Elevation: | 116.7 | 113.7 |
| Traffic Pattern: | Left | Left |
| Runway Heading: | 48° True | 228° True |
| Displaced Threshold: | 498 Feet | |
| Declared Distances: | TORA:7000 TODA:7000 ASDA:7000 LDA:6502 | TORA:6826 TODA:7000 ASDA:6102 LDA:6102 |
| Markings: | Precision Instrument in good condition. | Precision Instrument in good condition. |
| Glide Slope Indicator | P4L (3.00° Glide Path Angle) | P4R (3.00° Glide Path Angle) |
| Approach Lights: | MALSR 1,400 Foot Medium-intensity Approach Lighting System with runway alignment indicator lights. | |
| REIL: | Yes | |
| Obstacles: | 59 ft Trees 1524 ft from runway, 372 ft left of center | 68 ft Trees 2273 ft from runway, 769 ft right of center |
Runway 15/33
| Dimensions: | 4999 x 150 feet / 1524 x 46 meters | |
|---|---|---|
| Surface: | Asphalt / Grooved in Good Condition | |
| Weight Limits: | S-40, D-55 | |
| Edge Lighting: | Medium Intensity | |
| Runway 15 | Runway 33 | |
| Coordinates: | N40°5.07' / W75°0.95' | N40°4.43' / W75°0.27' |
| Elevation: | 119.8 | 107.9 |
| Traffic Pattern: | Left | Left |
| Runway Heading: | 141° True | 321° True |
| Markings: | Non-Precision Instrument in good condition. | Non-Precision Instrument in good condition. |
| Glide Slope Indicator | P4L (3.00° Glide Path Angle) | P4L (3.00° Glide Path Angle) |
| REIL: | Yes | Yes |
| Obstacles: | 41 ft Tree 1023 ft from runway, 4 ft left of center | 44 ft Tree 1472 ft from runway, 296 ft right of center |
Services Available
| Fuel: | 100LL (blue), Jet-A |
|---|---|
| Transient Storage: | Hangars,Tiedowns |
| Airframe Repair: | MAJOR |
| Engine Repair: | MAJOR |
| Bottled Oxygen: | HIGH/LOW |
| Bulk Oxygen: | HIGH |
| Other Services: | AIR FREIGHT SERVICES,AIR AMBULANCE SERVICES,AVIONICS,CARGO HANDLING SERVICES,CHARTER SERVICE,PILOT INSTRUCTION,AIRCRAFT RENTAL,AIRCRAFT SALES,ANNUAL SURVEYING |
Ownership Information
| Ownership: | Publicly owned | |
|---|---|---|
| Owner: | CITY OF PHILADELPHIA | |
| PHILADELPHIA INT ARPT | ||
| PHILADELPHIA, PA 19153 | ||
| 215-937-6800 | ||
| Manager: | JOHN BREWER | |
| 9800 ASHTON ROAD | ||
| PHILADELPHIA, PA 19114 | ||
| 215-937-7968 | ||
Other Remarks
- TURBOJET ACFT ARE CONFINED TO FULL LENGTH RWY 6/24 UNLESS STRONG WINDS DICTATE OTHERWISE.
- BE ALERT: 3 LARGE BRIGHTLY LIT JUMBOTRON SIGNS APRX 3 MILES NE OF AER 24. THESE SIGNS MAY CAUSE VISUAL ILLUSIONS DURING AN APCH OR MISSED APCH. PILOTS BE AT ADVISED.
- FOR CD WHEN ATCT IS CLSD CTC PHL APCH AT (800) 354-9884.
- TWY L3 SAFETY AREA NON STD.
- TWY J1 NON MOVEMENT AREA.
- COMPASS ROSE NOT FOR PUB USE.
- TWY J BTN TWY G AND HEL APN IS NON MOV AREA.
- LMT TGL OPNS TO 0900-2200 MON-SAT AND 1200-2200 SUN; 5 PER FLT FOR NOISE ABATEMENT.
- RWY 15 IS NOISE SENSITIVE. RWY 15 ARRIVALS ARE REQUESTED TO FLY AT OR ABOVE GLIDE PATH.
- ARPT CLSD TO PART 121 AIR CARRIER AND PART 135 SCHEDULED SVC.
- DEER & BIRDS ON & INVOF ARPT.
- TPA ACFT LESS THAN 12500 LBS 1120 MSL; ACFT 12500 LBS OR MORE & ALL TURBOJET & TURBINE PWRD ACFT 1620 MSL; ROTARY WING ACFT 920 MSL.
- BE ALERT FOR ARPT VEHICLES WHEN TWR CLSD.
- WHEN ATCT CLSD HIRL RWY 06/24 PRESET MED INTST, TO INCRS INTST AND ACTVT MALSR RWY 24 - CTAF
Weather Minimums
Standard Terminal Arrival (STAR) Charts
Instrument Approach Procedure (IAP) Charts
Nearby Airports with Instrument Procedures
| ID | Name | Heading / Distance | ||
|---|---|---|---|---|
![]() |
KVAY | South Jersey Regional Airport | 137° | 11.3 |
![]() |
KLOM | Wings Field Airport | 285° | 12.2 |
![]() |
N14 | Flying W Airport | 133° | 12.9 |
![]() |
KTTN | Trenton Mercer Airport | 037° | 14.8 |
![]() |
KDYL | Doylestown Airport | 341° | 15.9 |
![]() |
KPHL | Philadelphia International Airport | 220° | 16.5 |
![]() |
19N | Pine Valley Airport | 170° | 18.4 |
![]() |
KWRI | Mc Guire Field (Joint Base Mc Guire Dix Lakehurst) Airport | 101° | 19.7 |
![]() |
N87 | Trenton-Robbinsville Airport | 067° | 20.4 |
![]() |
KCKZ | Pennridge Airport | 325° | 22.5 |
![]() |
17N | Cross Keys Airport | 182° | 22.6 |
![]() |
39N | Princeton Airport | 040° | 25.0 |







