Login
Register
TTN
Trenton Mercer Airport
Official FAA Data Effective 2026-02-19 0901Z
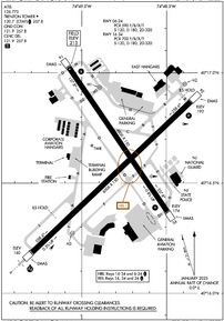
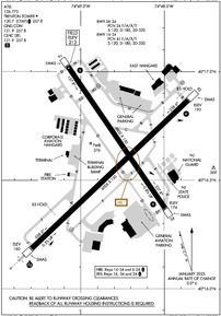
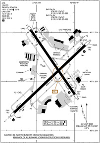
VFR Chart of KTTN
Sectional Charts at SkyVector.com
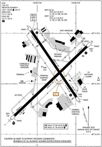
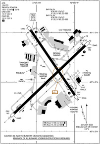
IFR Chart of KTTN
Enroute Charts at SkyVector.com
Location Information for KTTN
Coordinates: N40°16.60' / W74°48.81'Located 04 miles NW of Trenton, New Jersey on 1345 acres of land. View all Airports in New Jersey.
Surveyed Elevation is 212 feet MSL.
TPA FOR ACFT UNDER 12500 LBS 1200 FT MSL; ACFT 12500 LBS & OVER 1700 FT MSL.
Operations Data
|
|
Airport Communications
| ATIS: | 126.775 |
|---|---|
| ASOS: | 126.775 Tel. 609-538-8690 |
| TRENTON TOWER: | 120.7 257.8 |
| TRENTON GROUND: | 121.9 257.8 |
| PHILADELPHIA APPROACH: | 123.8 291.7 |
| PHILADELPHIA DEPARTURE: | 123.8 291.7 |
| CLEARANCE DELIVERY: | 121.9 257.8 |
| ARNG OPS: | 46.725 |
| EMERG: | 121.5 243.0 |
| NG OPS: | 121.95 242.4 |
| UNICOM: | 122.950 |
| CTAF: | 120.700 |
| ASOS at DYL (14.5 W): | 118.875 215-345-0392 |
| ASOS at PNE (14.8 SW): | 215-897-9068 |
| ATIS at PNE (14.8 SW): | 121.15 |
Nearby Navigation Aids
|
| ||||||||||||||||||||||||||||||||||||||||||||||||||||||||||||
Runway 06/24
| Dimensions: | 6006 x 150 feet / 1831 x 46 meters | |
|---|---|---|
| Surface: | Asphalt / Grooved in Good Condition | |
| Weight Limits: | S-120, D-180, ST-320
PCR VALUE: 590/F/B/X/T
| |
| Edge Lighting: | High Intensity | |
| Runway 06 | Runway 24 | |
| Coordinates: | N40°16.19' / W74°49.29' | N40°16.87' / W74°48.36' |
| Elevation: | 160.3 | 192.1 |
| Traffic Pattern: | Left | Left |
| Runway Heading: | 46° True | 226° True |
| Declared Distances: | TORA:6006 TODA:6006 ASDA:6006 LDA:6006 | TORA:6006 TODA:6006 ASDA:6006 LDA:6006 |
| Markings: | Precision Instrument in good condition. | Precision Instrument in good condition. |
| Glide Slope Indicator | P4L (3.00° Glide Path Angle) | |
| Approach Lights: | MALSR 1,400 Foot Medium-intensity Approach Lighting System with runway alignment indicator lights. | |
| REIL: | Yes | |
| Obstacles: | 87 ft Tree 2120 ft from runway, 790 ft right of center RWY 06, 185 FT LGTD POLE; 100 FT FROM THRESHOLD, 500 FT R. |
|
Runway 16/34
| Dimensions: | 4800 x 150 feet / 1463 x 46 meters | |
|---|---|---|
| Surface: | Asphalt / Grooved in Good Condition | |
| Weight Limits: | S-120, D-180, ST-320
PCR VALUE: 700/F/B/X/T
| |
| Edge Lighting: | High Intensity | |
| Runway 16 | Runway 34 | |
| Coordinates: | N40°17.02' / W74°49.08' | N40°16.37' / W74°48.50' |
| Elevation: | 212.6 | 174.4 |
| Traffic Pattern: | Left | Left |
| Runway Heading: | 146° True | 326° True |
| Declared Distances: | TORA:4800 TODA:4800 ASDA:4800 LDA:4800 | TORA:4800 TODA:4800 ASDA:4800 LDA:4800 |
| Markings: | Non-Precision Instrument in good condition. | Non-Precision Instrument in good condition. |
| Glide Slope Indicator | P4L (3.00° Glide Path Angle) | P4L (3.00° Glide Path Angle) |
| REIL: | Yes | Yes |
Helipad H1
LOCATED AT INTXN OF TWYS 'H' & 'H1'. | ||
| Dimensions: | 64 x 64 feet / 20 x 20 meters | |
|---|---|---|
| Surface: | Asphalt in Good Condition | |
| Coordinates: | N40°16.93' / W74°48.89' | N0°0.00' / E0°0.00' |
| Elevation: | 204.0 | |
| Markings: | Basic in good condition. | |
Helipad H2
LCTD AT NORTHEAST END OF TWY 'B'. | ||
| Dimensions: | 64 x 64 feet / 20 x 20 meters | |
|---|---|---|
| Surface: | Asphalt in Good Condition | |
| Coordinates: | N40°16.95' / W74°48.39' | N0°0.00' / E0°0.00' |
| Elevation: | 191.0 | |
| Markings: | Basic in good condition. | |
Helipad H3
| Dimensions: | 64 x 64 feet / 20 x 20 meters | |
|---|---|---|
| Surface: | Asphalt in Good Condition | |
| Coordinates: | N40°16.27' / W74°49.06' | N0°0.00' / E0°0.00' |
| Elevation: | 169.5 | |
| Markings: | Basic in good condition. | |
Services Available
| Fuel: | 100LL (blue), Jet-A, Jet A+ |
|---|---|
| Transient Storage: | Hangars,Tiedowns |
| Airframe Repair: | MAJOR |
| Engine Repair: | MAJOR |
| Bottled Oxygen: | LOW |
| Bulk Oxygen: | LOW |
| Other Services: | CHARTER SERVICE,PILOT INSTRUCTION,AIRCRAFT RENTAL,AIRCRAFT SALES |
Ownership Information
| Ownership: | Publicly owned | |
|---|---|---|
| Owner: | COUNTY OF MERCER | |
| 640 S BROAD ST | ||
| TRENTON, NJ 08650 | ||
| 609-989-6518 | ||
| Manager: | ERIC BILLOWITZ | |
| 340 SCOTCH ROAD, SUITE 200 | ||
| EWING, NJ 08628 | ||
| 609-882-1601 | ||
Other Remarks
- GEESE & FLOCKS OF SEA GULLS & DEER ON & INVOF ARPT.
- NOISE ABATEMENT PROCS IN EFCT; DEPS OVER 12500 LBS FLY RY HEADING UNTIL 1700 FT MSL; DEPS UNDER 12500 LBS FLY RY HEADING UNTIL 1200 FT MSL.
- NO TGL OR TRAINING OPNS 2200-0700.
- FOR CD WHEN ATCT IS CLSD CTC PHL APCH AT (800) 354-9884.
- VOLUNTARY CURFEW 0000-0600 LCL.
- TWR VIEW OF TWY J OBSC CTN ADZ.
- ARFF MNTS GND AND ATCT FREQS DURG ATC ZERO EVENTS.
- TWY E CLSD TO ACFT WINGSPAN MORE THAN 110FT EXC 24HR PPR 609-883-0994.
- TWY C CLSD TO ACFT MORE THAN 40000 LB.
- 0LL FUEL AVBL ON 24/7.
- WHEN ATCT CLSD ACTVT HIRL RY 06/24; HIRL RY 16/34; MALSR RY 06; PAPI RYS 24; 16; 34; REIL RYS 24; 16; 34 & TWY LGTS - CTAF.
- TPA FOR ACFT UNDER 12500 LBS 1200 FT MSL; ACFT 12500 LBS & OVER 1700 FT MSL.
- RY 6 ENGINEERED MATERIAL ARRESTING SYSTEM 308X162 DEP END.
- RY 16, ENGINEERED MATERIALS ARRESTING SYSTEM (EMAS), 247 FT LONG BY 162 FT WIDE, LCTD DER 16.
- RY 24 ENGINEERED MATERIAL ARRESTING SYSTEM 251X162 DEP END.
- RY 34 ENGINEERED MATERIALS ARRESTING SYSTEM (EMAS), 226 FT LONG BY 162 FT WIDE, LCTD DER 34.
Weather Minimums
Standard Terminal Arrival (STAR) Charts
Instrument Approach Procedure (IAP) Charts
Nearby Airports with Instrument Procedures
| ID | Name | Heading / Distance | ||
|---|---|---|---|---|
![]() |
39N | Princeton Airport | 043° | 10.2 |
![]() |
N87 | Trenton-Robbinsville Airport | 111° | 10.4 |
![]() |
KDYL | Doylestown Airport | 283° | 14.6 |
![]() |
KPNE | Northeast Philadelphia Airport | 217° | 14.8 |
![]() |
47N | Central Jersey Regional Airport | 033° | 17.8 |
![]() |
KWRI | Mc Guire Field (Joint Base Mc Guire Dix Lakehurst) Airport | 146° | 18.7 |
![]() |
N51 | Solberg/Hunterdon Airport | 010° | 18.7 |
![]() |
N40 | Sky Manor Airport | 336° | 18.9 |
![]() |
KVAY | South Jersey Regional Airport | 184° | 20.1 |
![]() |
N14 | Flying W Airport | 179° | 20.5 |
![]() |
N85 | Alexandria Airport | 333° | 20.9 |
![]() |
3N6 | Old Bridge Airport | 081° | 21.7 |








