Login
Register
LNK
Lincoln Airport
Official FAA Data Effective 2026-01-22 0901Z
From the Flight Deck
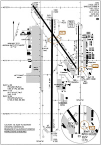
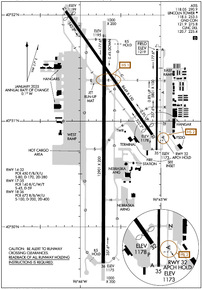
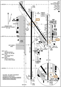
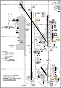
VFR Chart of KLNK
Sectional Charts at SkyVector.com
IFR Chart of KLNK
Enroute Charts at SkyVector.com
Location Information for KLNK
Coordinates: N40°51.05' / W96°45.55'Located 04 miles NW of Lincoln, Nebraska on 5000 acres of land. View all Airports in Nebraska.
Surveyed Elevation is 1218 feet MSL.
HVY MIL JET TPA 1781 FT AGL
Operations Data
|
|
Airport Communications
| ATIS: | 118.05 290.9 |
|---|---|
| ASOS: | Tel. 402-417-0560 |
| LINCOLN TOWER: | 118.5 125.7 253.5 |
| LINCOLN GROUND: | 121.9 275.8 |
| OMAHA APPROACH: | 124.0 270.3 |
| OMAHA DEPARTURE: | 124.0 270.3 |
| IC: | 118.5 253.5 124.0 270.3 |
| CLEARANCE DELIVERY: | 120.7 225.4 |
| ANG OPS: | 234.65 |
| CLASS C: | 124.0 270.3 |
| ARNG OPS: | 138.75 255.8 30.1FM |
| UNICOM: | 122.950 |
| CTAF: | 118.500 |
| AWOS-3P at AHQ (24.6 N): | 125.975 402-443-4030 |
| AWOS-3 at BIE (33.1 S): | 125.325 402-228-3229 |
| AWOS-3 at MLE (35.9 NE): | 118.25 402-895-6778 |
Nearby Navigation Aids
|
| ||||||||||||||||||||||||||||||||||||||||||||||||||||||||||||
Runway 18/36
| Dimensions: | 12901 x 200 feet / 3932 x 61 meters | |
|---|---|---|
| Surface: | Asphalt-Concrete / Grooved in Fair Condition | |
| Weight Limits: | S-100, D-200, ST-400
PCR VALUE: 672/R/B/W/U
| |
| Edge Lighting: | High Intensity | |
| Runway 18 | Runway 36 | |
| Coordinates: | N40°51.78' / W96°45.70' | N40°49.66' / W96°45.71' |
| Elevation: | 1195.2 | 1174.7 |
| Traffic Pattern: | Right | Left |
| Runway Heading: | 180° True | 360° True |
| Declared Distances: | TORA:12901 TODA:12901 ASDA:12901 LDA:12901 | TORA:12901 TODA:12901 ASDA:12901 LDA:12901 |
| Markings: | Precision Instrument in good condition. | Precision Instrument in good condition. |
| Glide Slope Indicator | P4L (3.00° Glide Path Angle) | P4L (3.00° Glide Path Angle) |
| RVR Equipment | Touchdown Rollout | Touchdown Rollout |
| Approach Lights: | MALSR 1,400 Foot Medium-intensity Approach Lighting System with runway alignment indicator lights. | MALSR 1,400 Foot Medium-intensity Approach Lighting System with runway alignment indicator lights. |
Runway 14/32
| Dimensions: | 8649 x 150 feet / 2636 x 46 meters | |
|---|---|---|
| Surface: | Asphalt / Grooved in Fair Condition | |
| Weight Limits: | S-80, D-170, ST-280
PCR VALUE: 450/F/B/X/U
| |
| Edge Lighting: | Medium Intensity | |
| Runway 14 | Runway 32 | |
| Coordinates: | N40°52.04' / W96°46.18' | N40°50.87' / W96°45.11' |
| Elevation: | 1198.9 | 1177.7 |
| Traffic Pattern: | Left | Left |
| Runway Heading: | 145° True | 325° True |
| Displaced Threshold: | 363 Feet | 470 Feet |
| Declared Distances: | TORA:8649 TODA:8649 ASDA:8649 LDA:8286 | TORA:8649 TODA:8649 ASDA:8286 LDA:7816 |
| Markings: | Non-Precision Instrument in good condition. | Non-Precision Instrument in good condition. |
| Glide Slope Indicator | P4L (3.00° Glide Path Angle) | V4L (3.00° Glide Path Angle) VASI UNUSBL BYD 8 DEGS LEFT OF CNTRLN AND 6 DEGS RIGHT OF CNTRLN. |
| REIL: | Yes | |
| Obstacles: | 59 ft Pole 2475 ft from runway, 375 ft right of center APCH RATIO FM DTHR 49:1. |
|
Runway 17/35
| Dimensions: | 5801 x 100 feet / 1768 x 30 meters | |
|---|---|---|
| Surface: | Asphalt / Grooved in Good Condition | |
| Weight Limits: | S-45, D-59
PCR VALUE: 140/R/C/W/T
| |
| Edge Lighting: | Medium Intensity | |
| Runway 17 | Runway 35 | |
| Coordinates: | N40°51.68' / W96°45.05' | N40°50.73' / W96°45.05' |
| Elevation: | 1218.7 | 1173.0 |
| Traffic Pattern: | Left | Right |
| Runway Heading: | 180° True | 360° True |
| Declared Distances: | TORA:5800 TODA:5800 ASDA:5400 LDA:5400 | TORA:5800 TODA:5800 ASDA:5800 LDA:5800 |
| Markings: | Non-Precision Instrument in good condition. | Non-Precision Instrument in good condition. |
| Glide Slope Indicator | P4L (3.00° Glide Path Angle) | P4L (3.00° Glide Path Angle) |
| Approach Lights: | ODALS Omnidirectional Approach Lighting System | |
| REIL: | Yes | |
Services Available
| Fuel: | 100LL (blue), Jet-A |
|---|---|
| Transient Storage: | Hangars,Tiedowns |
| Airframe Repair: | MAJOR |
| Engine Repair: | MAJOR |
| Bottled Oxygen: | HIGH/LOW |
| Bulk Oxygen: | HIGH |
| Other Services: | AIR FREIGHT SERVICES,AIR AMBULANCE SERVICES,AVIONICS,CARGO HANDLING SERVICES,CHARTER SERVICE,PILOT INSTRUCTION,AIRCRAFT RENTAL,AIRCRAFT SALES,ANNUAL SURVEYING |
Ownership Information
| Ownership: | Publicly owned | |
|---|---|---|
| Owner: | LINCOLN ARPT AUTH | |
| BOX 80407 | ||
| LINCOLN, NE 68501 | ||
| 402-458-2400 | ||
| Manager: | MR. DAVID HARING | EXECUTIVE DIRECTOR. |
| LINCOLN AIRPORT AUTHORITY, P.O. BOX 80407 | ||
| LINCOLN, NE 68501 | ||
| 402-458-2400 | ||
Other Remarks
- BIRDS INVOF ARPT.
- ANG: CTC AM OPS 234.65 20 MIN PRIOR TO LDG.
- ANG: PROVISIONAL PORT OF ENTRY: US CUSTOMS AVBL ONLY WITH 24 HR NOTICE AND ONLY FOR DOD AIRCREW AND DOD DUTY PAX ON TRAVEL ORDERS. CTC COMD POST. SPACE-A US CUSTOMS ENTRY TO THE US AT THIS ARPT LIMITED TO ACTIVE DUTY MILITARY PERSONNEL ON LEAVE (NO DEPENDENTS).
- ARNG: OPR 1300-2100Z++ TUE-FRI, LTD TRAN MAINT.
- ARNG: RAMP IS OFFL BUS/PPR TO PRK ARNG RAMP CTC FLT OPS DSN 279-1844, C402-309-1844.
- ENSURE CORRECT RWY LINEUP. RWY 17/35 IS THE SHRTR, PARL RWY ON E SIDE OF ARPT.
- ANG: AM OPS DSN 279-1293; C402-309-1293.
- PPR 24 HRS FOR ACFT PARKING ON THE WEST RAMP - CTC ARPT 402-458-2480.
- ANG: CTC AM OPS 234.65 FOR BWC.
- FOR CD WHEN ATCT IS CLSD CTC OMAHA APCH AT 402-682-4395.
- AF: USAF TMPRY OPS ON WEST RAMP FR APRX SPRING 2021 TO FALL 2022.
- PPR TO PARK ON ANG RAMP.
- CALM WIND RWY.
- APCH HOLDLINE ON SOUTH TWY A.
- WHEN ATCT CLSD, MALSR RWYS 18 & 36 OPR CONSLY ON LOW INTST; ODALS RWY 35 OPR CONSLY ON MED INTST; REIL RWY 14 OPR CONSLY ON LOW INTST; REIL RWY 17 OPR CONSLY ON MED INTST; MIRL RWY 14/32 AND RWY 17/35 OPR CONSLY ON LOW INTST; HIRL RWY 18/36 OPR CONSLY ON MED INTST. VASI RWY 32; PAPI RWYS 14, 17, 18, 35, & 36 OPR CONSLY.
- HVY MIL JET TPA 1781 FT AGL
Weather Minimums
Instrument Approach Procedure (IAP) Charts
Nearby Airports with Instrument Procedures
| ID | Name | Heading / Distance | ||
|---|---|---|---|---|
![]() |
KCEK | Crete Municipal Airport | 208° | 15.9 |
![]() |
KSWT | Seward Municipal Airport | 273° | 16.0 |
![]() |
KAHQ | Wahoo Municipal Airport | 017° | 24.5 |
![]() |
93Y | David City Municipal Airport | 324° | 28.1 |
![]() |
KBIE | Beatrice Municipal Airport | 179° | 33.0 |
![]() |
KMLE | Millard Airport | 054° | 35.9 |
![]() |
KFET | Fremont Municipal Airport | 016° | 37.5 |
![]() |
0G3 | Tecumseh Municipal Airport | 134° | 38.1 |
![]() |
KPMV | Plattsmouth Municipal/Douglas V Duey Field Airport | 081° | 38.7 |
![]() |
KJYR | York Municipal Airport | 274° | 39.5 |
![]() |
KFMZ | Fairmont State Airport | 247° | 40.4 |
![]() |
KOFF | Offutt AFB Airport | 067° | 41.9 |










