Login
Register
NIP
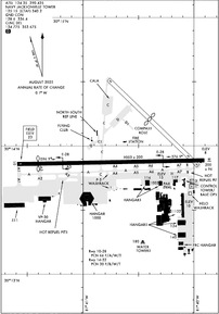
Jacksonville NAS (Towers Field) Airport
Official FAA Data Effective 2025-10-30 0901Z
VFR Chart of KNIP
Sectional Charts at SkyVector.com
IFR Chart of KNIP
Enroute Charts at SkyVector.com
Location Information for KNIP
Coordinates: N30°14.02' / W81°40.56'Located 04 miles S of Jacksonville, Florida. View all Airports in Florida.
Estimated Elevation is 22 feet MSL.
TRAN JET ACFT EXP RGT TFC RWY 10.
Operations Data
|
|
Airport Communications
| ATIS: | 124.35 290.425 |
|---|---|
| AWOS-3: | 119.275 |
| NAVY JACKSONVILLE TOWER: | 125.15 307.325 340.2 |
| NAVY JACKSONVILLE GROUND: | 128.6 336.4 |
| JACKSONVILLE APPROACH: | 127.775 127.775 377.075 |
| JACKSONVILLE DEPARTURE: | 127.775 377.075 |
| CLEARANCE DELIVERY: | 134.775 ;NAVY JAX FLT PLN 134.775 310.2 ;NAVY JAX FLT PLN 353.675 |
| ATCOM: | 6723FM |
| EMERG: | 121.5 243.0 |
| CTAF: | 125.150 |
| ALCRN STAR: | 127.0 269.9 |
| PMSV METRO: | 343.5 |
| AWOS-3 at HEG (7.2 W): | 119.275 904-695-0334 |
| AWOS-3 at VQQ (10.2 W): | 125.275 904-778-6934 |
| ASOS at CRG (10.4 NE): | 125.4 904-646-4670 |
- SFA.
Nearby Navigation Aids
|
| ||||||||||||||||||||||||||||||||||||||||||||||||
Runway 10/28
| Dimensions: | 9003 x 200 feet / 2744 x 61 meters | |
|---|---|---|
| Surface: | Asphalt in Fair Condition | |
| Weight Limits: | 66 /F/A/W/T | |
| Edge Lighting: | High Intensity FOR ACFT OPR IAW NASJAXINST 3710.1. | |
| Runway 10 | Runway 28 | |
| Coordinates: | N30°13.90' / W81°41.58' | N30°13.90' / W81°39.87' |
| Elevation: | 22.5 | 7.9 |
| Displaced Threshold: | 997 Feet | |
| Declared Distances: | TORA:9003 TODA:9003 ASDA:9003 LDA:8006 | TORA:8006 TODA:8006 ASDA:9003 LDA:9003 |
| Markings: | Precision Instrument in fair condition. | Precision Instrument in fair condition. |
| Glide Slope Indicator | P4L (3.00° Glide Path Angle) OPTICAL LANDING SYSTEM (OLS) & WAVE-OFF | P4R (3.00° Glide Path Angle) OPTICAL LANDING SYSTEM (OLS) & WAVE-OFF |
| Approach Lights: | ALSF1 Standard 2,400 Foot High-intensity Approach Lighting System with sequenced flashers, CATEGORY I Configuration. | ALSF1 Standard 2,400 Foot High-intensity Approach Lighting System with sequenced flashers, CATEGORY I Configuration. |
| REIL: | Yes | Yes |
| Centerline Lights: | Yes | Yes |
Runway 14/32
| Dimensions: | 5978 x 200 feet / 1822 x 61 meters | |
|---|---|---|
| Surface: | Asphalt in Fair Condition | |
| Edge Lighting: | High Intensity | |
| Runway 14 | Runway 32 | |
| Coordinates: | N30°14.55' / W81°40.73' | N30°13.86' / W81°39.92' |
| Elevation: | 12.4 | 7.4 |
| Runway Heading: | 135° True | 315° True |
| Displaced Threshold: | 2734 Feet | |
| Markings: | Precision Instrument in fair condition. | Precision Instrument in fair condition. |
Services Available
| Fuel: | J5 |
|---|---|
| Transient Storage: | NONE |
| Airframe Repair: | NONE |
| Engine Repair: | NONE |
| Bottled Oxygen: | NONE |
| Bulk Oxygen: | NONE |
Ownership Information
| Ownership: | Owned by the Navy | |
|---|---|---|
| Owner: | US NAVY | |
| OCEANOGRAPHIC OFC-CODE 3142 | ||
| WASHINGTON, DC 20373 | ||
| Manager: | COMMANDING OFFICER | |
| NAVAL AIR STATION | ||
| JACKSONVILLE, FL 32212 | ||
Other Remarks
- JASU: 1(NCPP-105) 2(NC-8)
- FLUID: LOCAL SQUADRONS CTC CRYOGENIC PLANT FOR LOX SVC, DSN 942-3818, C904-542-3818, 1200-2030Z++ MON-FRI. LOX SERVICE IS NOT AVAILABLE FOR TRANSIENT AIRCRAFT.
- TRANS ALERT: LTD TRAN MAINT, SVC AND SPACE. ACFT STAIRS AVBL 1230-0300Z++ DLY WITH 24 HR NTC.
- RSTD: TRAN JET ACFT VFR TGL NA WO CRS RULES BRF. ALL ACFT CTC FLT PLNG 310.2, 134.775 15 MIN PRIOR TO LDG.
- CAUTION: EXER EXTREME VIGILANCE DUR IFR APCH RWY 10 IN VMC DUE TO GENERAL AVIATION ACFT VICINITY CECIL FLD.
- CAUTION: UNSHIELDED LGT AT BALLFIELD NIP 216/2.4 NM ON RWY 10 APCH.
- 48 HR PPR NTC REQ EXC AIREVAC, JOSAC, NALO, AND LIFEFLTS, CTC BASEOPS DSN 942-5211, C904-542-2511. BOQ DSN 942-3138/3427/3139.
- NS ABTMT: STOP LDG ONLY MON-SAT BTN 0300-1300Z++ & SUN BTN 0300-1700Z++.
- CSTMS/AG/IMG: ACFT RQR INSPECTION CTC AFLD MGR DSN 942-3176, C904-542-3176 AT LEAST 48 HRS PRIOR TO ARR TO COORD INSPECTION SETUP.
- MISC: VIP ACFT CTC BASE OPS PRIOR LDG.
- CAUTION: TO PRECLUDE TAIL HOOK SKIP DURG A-GEAR ENGAGEMENT, AVOID RWY 10/28 CNTRLN LGTS LCTD 24 INCHES SOUTH OF RWY CNTRLN. MAX SAFE OFF-CNTR ARRESTMENT 40 FT.
- RSTD: AFLD CLSD 2ND WED OF EV MONTH FOR AFLD MAINT FR 1200-1600Z++.
- RSTD: PPR FOR ALL TRAN ACFT EXC AIREVAC AND LIFEFLTS, CTC AFLD MGR 48 HR PRIOR TO ARR FOR PPR NR. PPR & CALP REQ WILL CALL DSN 942-3176, C904-542-3176. BOQ DSN 942-3138/3427/3139.
- MISC: CTC NAVAL ATLANTIC MET FAC JACKSONVILLE FOR WX ADVSY OR WX FCST DSN 942-2541, C904-542-2541.
- CAUTION: MAT AREAS N OF RWY 10/28 NOT AUTHORIZED FOR ACFT USE.
- CAUTION: EXTREME BIRD HAZ DUR SUMMER MONTHS. CTC TWR FOR CURRENT BASH COND.
- CAUTION: SKYDIVING AND GLIDER OPERATIONS , SFC TO 10,000 FT, 7 MILES, IN VICINITY OF HERLONG ARPT, BTN SR & SS.
- MISC: AIRCREWS ARE RESPONSIBLE FOR THEIR ON/OFF BASE TRANSPORTATION. AIRCREWS COORDINATE FOR CLASSIFIED MATERIAL STORGE WITH NCTAMSLANT AT DSN 942-3777 24 HR NTC.
- MISC: WX FCST SVC AVBL 0900-0100Z++ MON-FRI. ALL OTHER HOURS WX OBSERVER ONLY. CTC FWC-N AVN CP JAX AT DSN 942-2535 C904-542-2535. CTC NAVAL AVAITION FCST CNTR FOR WX ADVSY OR WX FCST DSN 564-2594, C757-444-2594 DURING OTHER HRS.
- JASU -1(NC-10) 1 (MSU-200NAVIA/U47A-5(HUFFER) QLFD AIRCREW RQRD.
- AMC TRML-HRS 1230-0300++ MON-FRI.
- A-GEAR: RWY 10-28 A-G RIGGED UPON REQ 15 MIN NTC FOR ARRESTMENT ON RWY 10-28.
- J5 FUELS DIV DSN 942-3906, C 904-542-3906
- ACTIVATE-ALSF-1 RWY 10; SALSF RWY 28; PAPI RWY 10 & 28; HIRL RWY 10/28 - 134.775.
- TRAN JET ACFT EXP RGT TFC RWY 10.
- HOOK E28(B) (2190 FT)
- HOOK E28(B) 1229 FT)
- HOOK E28(B) (1995 FT)
Weather Minimums
Standard Terminal Arrival (STAR) Charts
Instrument Approach Procedure (IAP) Charts
Nearby Airports with Instrument Procedures
| ID | Name | Heading / Distance | ||
|---|---|---|---|---|
![]() |
KHEG | Herlong Recreational Airport | 291° | 7.2 |
![]() |
KCRG | Jacksonville Exec At Craig Airport | 053° | 10.4 |
![]() |
KVQQ | Cecil Airport | 265° | 10.5 |
![]() |
KJAX | Jacksonville International Airport | 357° | 15.6 |
![]() |
KNRB | Mayport Ns (Adm David L Mcdonald Field) Airport | 054° | 16.1 |
![]() |
KSGJ | Northeast Florida Regional Airport | 133° | 24.0 |
![]() |
KFHB | Fernandina Beach Municipal Airport | 026° | 25.2 |
![]() |
42J | Keystone Heights Airport | 219° | 30.3 |
![]() |
28J | Palatka Municipal/Lt Kay Larkin Field Airport | 181° | 34.5 |
![]() |
KGNV | Gainesville Regional Airport | 223° | 45.0 |
![]() |
KLCQ | Lake City Gateway Airport | 266° | 46.9 |
![]() |
09J | Jekyll Island Airport | 014° | 51.9 |







