Login
Register
RCA
Ellsworth AFB Airport
Official FAA Data Effective 2025-12-25 0901Z
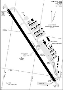
VFR Chart of KRCA
Sectional Charts at SkyVector.com
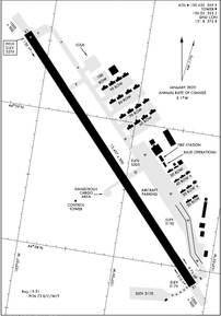
IFR Chart of KRCA
Enroute Charts at SkyVector.com
Location Information for KRCA
Coordinates: N44°8.71' / W103°6.21'Located 05 miles SW of Rapid City, South Dakota. View all Airports in South Dakota.
Estimated Elevation is 3276 feet MSL.
TPA: RECTANGULAR 4500 FT MSL, 5000 FT MSL OVHD, AVOID OVFT OF BASE PROPER WHEN CRC TO LDG.
Operations Data
|
|
Airport Communications
| ATIS: | 120.625 269.9 |
|---|---|
| ELLSWORTH TOWER: | 126.05 253.5 |
| ELLSWORTH GROUND: | 121.8 275.8 |
| ELLSWORTH APPROACH: | 119.5 259.1 |
| ELLSWORTH DEPARTURE: | 119.5 289.4 |
| PMSV METRO: | 375.775 |
| PTD: | 372.2 |
| SOF: | 311.0 |
| COMD POST: | 321.0 |
| EMERG: | 121.5 243.0 |
| ASOS at RAP (6.3 S): | 118.525 605-223-0202 |
| AWOS-3P at 49B (20.3 NW): | 119.275 605-347-3356 |
| ASOS at CUT (33.2 SW): | 120.00 605-206-3961 |
- RADAR - SEE TERMINAL FLIP FOR RADAR MINIMA.
- APCH/DEP CTL SVC PRVDD BY DENVER ARTCC (ZDV) ON 127.95/338.2 (CRAWFORD RCAG) WHEN ELLSWORTH APCH (RCA) CLSD.
- FULL SVC AVBL 1430-2300Z++ 28 OSS DSN 385-1042, C605-385-1042, ALTN SVC AVBL SCOTT AFB 15 OWS DSN 618-256-3663, C618-256-2165.
- FULL SVC AVBL 1430-2300Z++ DSN 385-1052, C605-385-1052.
- DIGITAL ASR NO-NOTAM MP: 0500-1100Z++ MON-FRI.
Nearby Navigation Aids
|
| ||||||||||||||||||||||||||||||||||||
Runway 13/31
| Dimensions: | 13497 x 300 feet / 4114 x 91 meters | |
|---|---|---|
| Surface: | Concrete | |
| Weight Limits: | 73 /R/C/W/T | |
| Edge Lighting: | High Intensity | |
| Runway 13 | Runway 31 | |
| Coordinates: | N44°9.53' / W103°7.24' | N44°7.88' / W103°5.18' |
| Elevation: | 3276.3 | 3178.5 |
| Traffic Pattern: | Left | Left |
| Runway Heading: | 138° True | 318° True |
| Markings: | Precision Instrument in good condition. | Precision Instrument in good condition. |
| Glide Slope Indicator | P4L (3.00° Glide Path Angle) | P4L (3.00° Glide Path Angle) |
| RVR Equipment | Touchdown | Touchdown |
| Approach Lights: | ALSF1 Standard 2,400 Foot High-intensity Approach Lighting System with sequenced flashers, CATEGORY I Configuration. | ALSF1 Standard 2,400 Foot High-intensity Approach Lighting System with sequenced flashers, CATEGORY I Configuration. |
Services Available
| Fuel: | NONE |
|---|---|
| Transient Storage: | NONE |
| Airframe Repair: | MAJOR |
| Engine Repair: | MAJOR |
| Bottled Oxygen: | NONE |
| Bulk Oxygen: | LOW |
Ownership Information
| Ownership: | Owned by the Air Force | |
|---|---|---|
| Owner: | U.S. AIR FORCE | |
| 44TH CSG, ELLSWORTH AFB | ||
| RAPID CITY, SD 57706 | ||
| Manager: | BASE OPERATIONS | |
| 44TH CSG, ELLSWORTH AFB | ||
| RAPID CITY, SD 57706 | ||
| 605-385-1052 | BASE OPS V675-1052/2861. | |
Other Remarks
- OIL: O-132-133-148
- TRAN ALERT: SVC UNAVBL. FLEET SVC UNAVBL.
- RSTD: ALL ACFT MAINT AT OR ABV 7700 FT & 2640 FT HORIZONTAL SEPARATION IN THE IMMED VCNTY OF MT. RUSHMORE; AVOID DEVILS TWR BY 5 NM. PPR ALL FULL STOP ACFT CTC BASE OPS NO EARLIER THAN 72 HR PRIOR TO ETA. FAX DSN 675-1053, C605-385-1053.
- MISC: INBD VIP CODE 7 OR HI, CTC RAYMOND 33 15 MIN PRIOR TO BLOCK TIME WITH NAME, RANK AND PURPOSE OF VISIT.
- FM OBS POINT WX TECHNICIANS UNABLE TO SEE THE TDZ OF BOTH RYS.
- RSTD: PPR MIN 24 HR NTC, CTC DSN 675-1052/2860, C605-385-1052/2860.
- RSTD: BIRD WATCH COND - (SVR) NO APCH/DEP/LDG WO 28 OG/CC APVL; (MOD) - FULL STOP ONLY, ARR, DEP RQR 28 OG/CC APVL. CREWS SHOULD COMPLY WITH OWNING MAJCOM GUIDANCE REQ BWC UPDATE BFR EACH APCH PRIOR TO RCHN THE FAF. (LOW) NML OPRN PROCS IN EFCT.
- GLOBAL STRIKE COMD RSRS APPLIED TO GLOBAL STRIKE COMD ONLY
- EXTV GENERAL AVN AND COML TFC IN VCNTY OF RAPID CITY ARPT 6.5 NM SE OF ARPT.
- CSTMS/AG/IMG: LTD TO US DOD ACFT ONLY; AVBL WITH 24 HR NOTICE. IMG SERVICE UNAVBL FOR NON-DOD PERS. CTC 28 OSS/OSAA, DSN 675-1052/2860, C605-385-1052/2860.
- RSTD: AIRCREW SHOULD AVOID BEAR BUTTE, DEFINED BY THE RCA 317/25 FIX, BY FLYING NO LOWER THAN 10,000 FT MSL WITHIN 2NM.
- FUEL: A++. HOT REFUEL AVBL TO B-1 AND EA-18 ACFT ONLY.
- CAUTION: MIGRATORY BIRD ACT BASH (PHASE II) MAY AND AUG-OCT OR ACTIVE VIA NOTAM. DEER HAZ, RPT ANY ACT TO TWR/PTD.
- COMSEC ISSUING AND CLASSIFIED MATERIAL STORAGE UNAVBL FROM AMOPS, CTC COMD POST FOR STORAGE.
- MISC: WX STN AVBL 1430-2300Z++ EXCLDN WKND/HOL/AFGSC FAM DAYS; CTC COMD POST DSN 675-3800 FOR WX PATCH.
- MISC: TRAN ACFT REQ FOR APCH AND PATTERN WORK, RQR 24 HR NTC, CTC OPS DSN 675-1052/2860, C605-385-1052/2860.
- AFLD CLSD DUE TO CONST ON RWY 13/31. ATC TWR CLSD. AFLD MGMT AVBL 1430-2300Z++ EXCLDG WKNDS, HOL & GLOBAL STRIKE COMD DOWN DAYS.
- PRIM FREQ 311.0.
- MISC: WX STN AUGMENTS FOR VIS AT OR BELOW 3 SM WHEN NEEDEDED. VIS LTD NE TO SE DUE TO BLDGS. RWY 31/13 RVR EQPT UNSVC.
- "VERIFY POWDER RIVER TRAINING COMPLEX STATUS BEFORE FILING IFR FPL" VIA SPECIAL USE AIRSPACE SITE: HTTPS://SUA.FAA.GOV/SUA/"
- WHEN ATCT CLSD, FOR CD CTC DENVER ARTCC AT 303-651-4257.
- LGT: RWY 31-13 NSTD ALSF-1, MISSING LAST CNTRLN BARRETTE PRIOR TO THLD.
- MISC: ARFF CRITICAL LVL OF SVC (RED) FOR ALL NFPA CAT AND USAF VEH SETS DUE TO MANNING ON WKEND, FEDERAL HOL, & AFGS FAMILY DAYS.
- MISC: RWY 31 FMQ-19 LIGHTNING SENSOR INACCURATE, CTC 28 WX DSN 385-1042 FOR INFO.
- MISC: ARFF RDCD LEVEL OF SVC (YELLOW) FOR NFPA CAT 9-10 & USAF VEH SETS 5-6. DUE TO MANNING. OPTIMUM LEVEL OF SVC (GREEN) FOR NFPA CAT 1-8 & USAF VEH SETS 1-4. ONLY APPLICABLE WKD EXCLD FEDERAL HOL & USAF GLOBAL STRIKE FAMILY DAYS. CTC FD AT C605-385-1113 FOR FURTHER INFO.
- CAUTION: HI POTENTIAL FOR MID-AIR COLLISION EXISTS WITH ACFT FR RAPID CITY ARPT LCTD APRX 6.5 NM SE OF ARPT.
- JASU: (AM32A-95) (A/M32A-86)
- AIRFIELD LIGHTING ONLY AVAILABLE DURING TWR HOURS.
- TPA: RECTANGULAR 4500 FT MSL, 5000 FT MSL OVHD, AVOID OVFT OF BASE PROPER WHEN CRC TO LDG.
Weather Minimums
Instrument Approach Procedure (IAP) Charts
Departure Procedure (DP) Charts
Nearby Airports with Instrument Procedures
| ID | Name | Heading / Distance | ||
|---|---|---|---|---|
![]() |
KRAP | Rapid City Regional Airport | 161° | 6.3 |
![]() |
49B | Sturgis Municipal Airport | 324° | 20.2 |
![]() |
KSPF | Black Hills-Clyde Ice Field Airport | 304° | 35.6 |
![]() |
KEFC | Belle Fourche Municipal Airport | 317° | 48.1 |
![]() |
KHSR | Hot Springs Municipal Airport | 194° | 48.2 |
![]() |
KECS | Mondell Field Airport | 253° | 54.7 |
![]() |
KPHP | Philip Airport | 094° | 65.3 |
![]() |
W43 | Hulett Municipal Airport | 296° | 70.2 |
![]() |
KIEN | Pine Ridge Airport | 158° | 72.3 |
![]() |
KCDR | Chadron Municipal Airport | 179° | 78.4 |
![]() |
9V6 | Martin Municipal Airport | 133° | 84.4 |
![]() |
9V5 | Modisett Airport | 160° | 89.3 |







