Login
Register
SAT
San Antonio International Airport
Official FAA Data Effective 2025-12-25 0901Z
From the Flight Deck
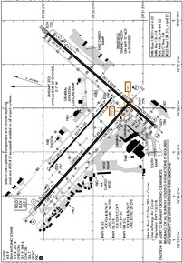
VFR Chart of KSAT
Sectional Charts at SkyVector.com
IFR Chart of KSAT
Enroute Charts at SkyVector.com
Location Information for KSAT
Coordinates: N29°32.04' / W98°28.14'Located 07 miles N of San Antonio, Texas on 2305 acres of land. View all Airports in Texas.
Surveyed Elevation is 809 feet MSL.
Operations Data
|
|
Airport Communications
| D-ATIS: | 118.9 (210-805-5515) |
|---|---|
| ASOS: | Tel. 210-939-4003 |
| SAN ANTONIO TOWER: | 119.8 257.8 |
| SAN ANTONIO GROUND: | 121.9 348.6 |
| SAN ANTONIO APPROACH: | 118.05 ;141-270 SAT 121.375 124.45 ;360-090 SAT 125.1 ;271-359 SAT 125.7 127.1 128.05 ;091-140 SAT 251.125 257.625 ;115-154 SAT/035-056 SAT 290.225 307.0 ;271-359 SAT 318.1 ;091-149 SAT 335.625 ;360-090 SAT 353.5 ;141-270 SAT |
| SAN ANTONIO DEPARTURE: | 118.05 ;141-270 SAT 124.45 ;360-090 SAT 125.1 ;271-359 SAT 125.7 127.1 128.05 ;091-140 SAT 251.125 290.225 307.0 ;271-359 SAT 318.1 ;091-149 SAT 335.625 ;360-090 SAT 353.5 ;141-270 SAT |
| IC: | 125.1 ;271-359 SAT 307.0 ;271-359 SAT |
| CLEARANCE DELIVERY: | 126.7 |
| TJANO DP: | 125.7 ;RY 13R/L, 31L/R, 22 127.1 ;RY 4 269.1 ;RY 4 290.225 ;RY 13R/L,31L/R, 22 |
| LEMIG STAR: | 125.7 290.225 |
| CENTERPOINT STAR: | 125.1 ;RWY 13R, 22 125.7 ;RWY 04, 31L 290.225 ;RWY 04, 31L 307.0 ;RWY 13R, 22 |
| DNKIN RNAV STAR: | 125.1 307.0 |
| SNIDR DP: | 125.7 ;RY 22 127.1 ;RY 13R/L, 31L/R, 4 269.1 ;RY 13R/L, 31L/R, 4 290.225 ;RY 22 |
| UNICOM: | 122.950 |
| QERVO RNAV STAR: | 127.1 269.1 |
| ALAMO DP: | 125.1 ;RWY 04, 22, 31 127.1 ;RWY 13 269.1 ;RWY 13 307.0 ;RWY 04, 22, 31 |
| POPPO RNAV STAR: | 125.1 307.0 |
| ALISS DP: | 125.1 ;RY 31L/R 125.7 ;RY 13L/R, 22 127.1 ;RWY 4 269.1 ;RY 4 290.225 ;RY 13L/R, 22 307.0 ;RY 31L/R |
| YODUH DP: | 125.1 ;RY 31L/R 125.7 ;RY 22 127.1 ;RY 13R/L, 4 269.1 ;RY 13R/L, 4 290.225 ;RY 22 307.0 ;RY 31L/R |
| SLENA DP: | 125.7 ;RY 13R/L 31L/R, 22 127.1 ;RY 4 269.1 ;RY 4 290.225 ;RY 13R/L, 31L/R, 22 |
| LEJON DP: | 125.1 ;RWY 04, 22, 31 125.7 ;RWY 13 290.225 ;RWY 13 307.0 ;RWY 04, 22, 31 |
| CRVZA RNAV STAR: | 125.7 290.225 |
| MARCS STAR: | 127.1 269.1 |
| CLASS C: | 118.05 ;141-270 SAT 124.45 ;360-090 SAT 125.1 ;271-359 SAT 128.05 ;091-140 SAT 307.0 ;271-359 SAT 318.1 ;091-140 SAT 335.625 ;360-090 SAT 353.5 ;141-270 SAT |
| STONEWALL STAR: | 125.1 307.0 |
| BOWIE DP: | 125.1 ;RWY 04 LRD TRANSITION 125.7 ;RWY 13, 22, 31 127.1 ;RWY 04 CRP TRANSITION 269.1 ;RWY 04 CRP TRANSITION 290.225 ;RWY 04, 13, 31 307.0 ;RWY 04 LRD TRANSITION |
| EMERG: | 121.5 243.0 |
| ATIS at RND (10.0 E): | 290.525 |
| ATIS at SKF (10.7 SW): | 120.45 |
| ASOS at SSF (11.7 S): | 210-927-9391 |
- 128.05 397.0 348.4 289.2 TRACON PIT/UPT CAT VI TRAINING AREA(DO NOT ADVERTISE.
- CTN: DUE CONST UFN; ATCT UNABLE TO OBSERVE TFC ON SE PORTION OF ARPT. TWR INSTRUCTIONS ON TWYS & RAMPS IN THIS AREA WILL BE ADZY ONLY. SMALL ACFT DEPARTING RWY 3 ANTICIPATE TKOF FM INT TWY G.
- SAID IN USE. OPERATE TRANSPONDERS WITH ALTITUDE REPORTING MODE AND ADS-B (IF EQUIPPED) ENABLED ON ALL AIRPORT SURFACES.
- SAT REQUEST BAZ ATIS, 119.325, ADDED TO THIS STAR.
- SAT REQUEST BAZ ATIS, 119.325, ADDED TO THIS STAR.
- SAT REQUEST BAZ ATIS, 119.325, ADDED TO THIS STAR.
- SAT REQUEST BAZ ATIS, 119.325, ADDED TO THIS STAR.
Nearby Navigation Aids
|
| ||||||||||||||||||||||||||||||||||||||||||||||||||||||||||||
Runway 04/22
| Dimensions: | 8505 x 150 feet / 2592 x 46 meters | |
|---|---|---|
| Surface: | Concrete / Grooved in Good Condition | |
| Weight Limits: | S-95, D-190, ST-270
PCR VALUE: 950/R/B/W/T
| |
| Edge Lighting: | High Intensity | |
| Runway 04 | Runway 22 | |
| Coordinates: | N29°31.39' / W98°28.19' | N29°32.46' / W98°27.15' |
| Elevation: | 786.0 | 754.5 |
| Traffic Pattern: | Left | Left |
| Runway Heading: | 41° True | 221° True |
| Declared Distances: | TORA:8505 TODA:8505 ASDA:8505 LDA:8505 | TORA:8505 TODA:8505 ASDA:8505 LDA:8505 |
| Markings: | Precision Instrument in good condition. | Precision Instrument in good condition. |
| Glide Slope Indicator | P4R (3.00° Glide Path Angle) | P4L (3.00° Glide Path Angle) |
| RVR Equipment | Touchdown | Rollout |
| Approach Lights: | MALS 1,400 Foot Medium-intensity Approach Lighting System. | |
| REIL: | Yes | |
| Centerline Lights: | Yes | Yes |
| Obstacles: | 46 ft Pole 2180 ft from runway, 225 ft left of center | |
Runway 13R/31L
| Dimensions: | 8502 x 150 feet / 2591 x 46 meters | |
|---|---|---|
| Surface: | Concrete / Grooved in Poor Condition RUNWAY HAS MET ITS SERVICE LIFE CYCLE AND IS IN NEED OF OVERHAUL. | |
| Weight Limits: | S-95, D-190, ST-270
PCR VALUE: 810/R/B/W/T
| |
| Edge Lighting: | High Intensity | |
| Runway 13R | Runway 31L | |
| Coordinates: | N29°32.56' / W98°29.13' | N29°31.63' / W98°27.93' |
| Elevation: | 809.1 | 778.5 |
| Traffic Pattern: | Left | Left |
| Runway Heading: | 132° True | 312° True |
| Declared Distances: | TORA:8502 TODA:8502 ASDA:8502 LDA:8502 | TORA:8502 TODA:8502 ASDA:8502 LDA:8502 |
| Markings: | Precision Instrument in good condition. | Precision Instrument in good condition. |
| Glide Slope Indicator | P4L (3.00° Glide Path Angle) | P4L (3.00° Glide Path Angle) |
| RVR Equipment | Touchdown Midfield Rollout | Touchdown Midfield Rollout |
| Approach Lights: | ALSF2 Standard 2,400 Foot High-intensity Approach Lighting System with sequenced flashers, CATEGORY II or III Configuration. | MALSR 1,400 Foot Medium-intensity Approach Lighting System with runway alignment indicator lights. |
| Centerline Lights: | Yes | Yes |
| Obstacles: | 79 ft Building 3500 ft from runway, 300 ft right of center | |
Runway 13L/31R
RWY 13L/31R NOT AVBL FOR PART 121/PART 380 OPS WITH SKED PAX CARRYING OPS MORE THAN 9 PAX SEATS AND NON-SKED PAX CARRYING OPS MORE THAN 30 PAX SEATS. | ||
| Dimensions: | 5519 x 100 feet / 1682 x 30 meters | |
|---|---|---|
| Surface: | Asphalt in Fair Condition | |
| Weight Limits: | S-59, D-120
PCR VALUE: 570/F/C/X/T
| |
| Edge Lighting: | Medium Intensity | |
| Runway 13L | Runway 31R | |
| Coordinates: | N29°32.42' / W98°28.66' | N29°31.81' / W98°27.88' |
| Elevation: | 797.3 | 779.2 |
| Traffic Pattern: | Left | Left |
| Runway Heading: | 132° True | 312° True |
| Declared Distances: | TORA:5519 TODA:5519 ASDA:5519 LDA:5519 | TORA:5519 TODA:5519 ASDA:5519 LDA:5519 |
| Markings: | Non-Precision Instrument in good condition. | Basic in good condition. |
| Glide Slope Indicator | P4L (3.00° Glide Path Angle) | P4L (3.00° Glide Path Angle) |
| REIL: | Yes | Yes |
Services Available
| Fuel: | 100LL (blue), Jet-A |
|---|---|
| Transient Storage: | Hangars,Tiedowns |
| Airframe Repair: | MAJOR |
| Engine Repair: | MAJOR |
| Bottled Oxygen: | HIGH/LOW |
| Bulk Oxygen: | HIGH/LOW |
| Other Services: | AVIONICS,CARGO HANDLING SERVICES,CHARTER SERVICE,PILOT INSTRUCTION,AIRCRAFT RENTAL,AIRCRAFT SALES |
Ownership Information
| Ownership: | Publicly owned | |
|---|---|---|
| Owner: | CITY OF SAN ANTONIO | |
| 100 MILITARY PLAZA | ||
| SAN ANTONIO, TX 78207 | ||
| 210-207-7253 | ||
| Manager: | JESUS H. SAENZ, JR. | |
| 9800 AIRPORT BLVD | ||
| SAN ANTONIO, TX 78216 | ||
| 210-207-3444 | ||
Other Remarks
- GLIDER/SOARING OPNS APRXLY 17 MILES NW OF ARPT DURG VFR.
- NOISE SENSITIVE AREAS EXIST ON ALL SIDES OF ARPT, AT PILOTS DISCRETION CLIMB AS QUICKLY AND QUIETLY AS SAFELY POSSIBLE ON DEPARTURE AND USE CONSIDERATION WHEN FLYING OVER POPULATED AREAS BY MINIMIZING FLT AND HIGH PWR SETTINGS. MILITARY AIRCRAFT: DEPARTING AND ARRIVING AIRCRAFT WILL USE MINIMUM POWER SETTINGS CONSISTENT WITH AIRCRAFT FLIGHT MANUALS, AFTERBURNER TAKEOFF IS PROHIBITED UNLESS REQUIRED FOR SAFETY OF FLIGHT. ENGINE-UPS ARE PERMITTED BTN 0600-2300.
- ACFT TAXIING ON RY 04 NE BOUND LOOK FOR HOLD SHORT TO RY 31L.
- ACFT TAXIING ON TWY N SW BOUND LOOK FOR HOLD SHORT TO RY 31R.
- GROUND RUN-UP ENCLOSURE AVBL 24 HRS.
- TERMINAL GATES A2, A6, A7, A8, USE ONLY WITH PPR CALL OPNS 210-413-4928.
- THE FLWG TWYS ARE NOT AVBL FOR ACFT 59000 LBS OR OVR: TWY A, TWY M, TWY H NORTHWEST OF TWY Z AND TWY E EAST OF RWY 04/22.
- TWY Z CLSD TO ACFT WITH WINGSPAN GREATER THAN 118 FT.
- C130 AND C17 TYPE ACFT MUST PARK ON WEST RAMP TO CLR CUST.
- INNER RAMP TAXILANE NORTH OF TRML A AND B IS CLSD TO ACFT WITH WINGSPAN GTR THAN 135 FT.
- PPR WITH ARPT OPNS FOR ACFT POWERING BACK FM TERMINAL GATES.
- TWYS L & B CLSD TO ACFT WITH WINGSPANS GREATER THAN 118 FT EXITING RY 31L.
- ACFT AT TERMINAL A & B ADVISE GND CTL PRIOR TO PUSH.
- TWY L CLSD NORTHBOUND.
- ARPT RSTD TO ACFT WITH WINGSPAN GTR THAN 171 FT, PPR WITH 24HR OPS 210-413-4928. RQRD FOR AUTH.
- APRON EAST CARGO RAMP INT OF RWY 04/22 AND TWY DELTA ACFT ARE REQ TO APPLY THE MNM THRUST WHEN XNG THE RWY TO AVOID DMG DUE TO JET BLAST.
- ALL INTL GENERAL AVIATION CLEAR U.S. CSTMS AT NORTH FIXED BASE OPERATOR RAMP EAST SIDE, CALL U.S. CSTMS 210-821-6965 UPON ARR.
- FOREIGN MIL ACFT WITH WINGSPAN LESS THAN 100 FT MUST REP TO GA RAMP FED INSPECTION STATION FOR CUST PROCESSING, CTC AP MANAGEMENT AT 210-207-3433.
- NUMEROUS FLOCKS OF BIRDS INVOF ARPT.
Weather Minimums
Standard Terminal Arrival (STAR) Charts
- CENTERPOINT THREE

- CRVZA TWO (RNAV)

- CRVZA TWO (RNAV), CONT.1

- CRVZA TWO (RNAV), CONT.2

- DNKIN TWO (RNAV)

- DNKIN TWO (RNAV), CONT.1

- LEMIG TWO

- MARCS TWO

- MARCS TWO, CONT.1

- POPPO TWO (RNAV)

- POPPO TWO (RNAV), CONT.1

- POPPO TWO (RNAV), CONT.2

- QERVO THREE (RNAV)

- QERVO THREE (RNAV), CONT.1

- QERVO THREE (RNAV), CONT.2

- STONEWALL TWO

Instrument Approach Procedure (IAP) Charts
Departure Procedure (DP) Charts
Nearby Airports with Instrument Procedures
| ID | Name | Heading / Distance | ||
|---|---|---|---|---|
![]() |
KRND | Randolph AFB Airport | 091° | 10.0 |
![]() |
KSKF | Kelly Field Airport | 213° | 10.7 |
![]() |
KSSF | Stinson Municipal Airport | 180° | 11.8 |
![]() |
5C1 | Boerne Stage Airfield Airport | 313° | 16.4 |
![]() |
KCVB | Castroville Municipal Airport | 240° | 23.1 |
![]() |
KBAZ | New Braunfels Ntl Airport | 065° | 24.5 |
![]() |
23R | Devine Municipal Airport | 226° | 34.3 |
![]() |
KPEZ | Pleasanton Municipal Airport | 184° | 34.8 |
![]() |
KHYI | San Marcos Regional Airport | 055° | 38.3 |
![]() |
KHDO | South Texas Regional At Hondo Airport | 254° | 38.6 |
![]() |
KERV | Kerrville Municipal/Louis Schreiner Field Airport | 309° | 41.7 |
![]() |
50R | Lockhart Municipal Airport | 065° | 45.7 |









