Login
Register
SLN
Salina Regional Airport
Official FAA Data Effective 2026-02-19 0901Z
VFR Chart of KSLN
Sectional Charts at SkyVector.com
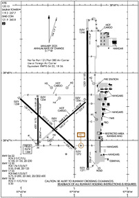
IFR Chart of KSLN
Enroute Charts at SkyVector.com
Location Information for KSLN
Coordinates: N38°47.44' / W97°39.13'Located 03 miles SW of Salina, Kansas on 2862 acres of land. View all Airports in Kansas.
Surveyed Elevation is 1288 feet MSL.
Operations Data
|
|
Airport Communications
| ATIS: | 120.15 |
|---|---|
| ASOS: | 120.15 Tel. 785-823-3402 |
| SALINA TOWER: | 119.3 124.35 257.7 |
| SALINA GROUND: | 121.9 360.8 |
| EMERG: | 243.0 |
| CTAF: | 119.300 |
| NG OPS: | 304.6 41.7 |
| UNICOM: | 122.950 |
| AWOS-3P at K78 (20.7 E): | 124.125 785-802-8625 |
| AWOS-3P at MPR (26.6 S): | 119.025 620-798-1650 |
| AWOS-3PT at 9K7 (27.2 W): | 119.675 785-472-9746 |
- APCH/DEP CTL SVC PRVDD BY KANSAS CITY ARTCC (ZKC) ON FREQS 134.9/363.2 (SALINA RCAG).
Nearby Navigation Aids
|
| ||||||||||||||||||||||||||||||||||||||||||||||||||||||||||||
Runway 17/35
| Dimensions: | 12301 x 150 feet / 3749 x 46 meters | |
|---|---|---|
| Surface: | Asphalt-Concrete in Good Condition | |
| Weight Limits: | S-75, D-200, ST-360, DT-600
PCR VALUE: 840/F/D/X/T
| |
| Edge Lighting: | High Intensity | |
| Runway 17 | Runway 35 | |
| Coordinates: | N38°48.62' / W97°38.76' | N38°46.60' / W97°38.75' |
| Elevation: | 1245.8 | 1271.1 |
| Traffic Pattern: | Left | Left |
| Runway Heading: | 180° True | 360° True |
| Declared Distances: | TORA:12300 TODA:12300 ASDA:12300 LDA:12300 | TORA:12300 TODA:12300 ASDA:12300 LDA:12300 |
| Markings: | Precision Instrument in good condition. | Precision Instrument in good condition. |
| Glide Slope Indicator | P4L (3.00° Glide Path Angle) | P4R (3.00° Glide Path Angle) |
| Approach Lights: | MALS 1,400 Foot Medium-intensity Approach Lighting System. | MALSR 1,400 Foot Medium-intensity Approach Lighting System with runway alignment indicator lights. |
| Obstacles: | 30 ft Ground 1375 ft from runway, 500 ft left of center | |
Runway 12/30
| Dimensions: | 6510 x 100 feet / 1984 x 30 meters | |
|---|---|---|
| Surface: | Asphalt in Excellent Condition | |
| Weight Limits: | S-55, D-68, ST-125
PCR VALUE: 176/F/D/X/T
| |
| Edge Lighting: | Medium Intensity | |
| Runway 12 | Runway 30 | |
| Coordinates: | N38°47.61' / W97°40.02' | N38°46.89' / W97°39.01' |
| Elevation: | 1258.3 | 1271.7 |
| Traffic Pattern: | Left | Left |
| Runway Heading: | 132° True | 312° True |
| Declared Distances: | TORA:6510 TODA:6510 ASDA:6510 LDA:6510 | TORA:6510 TODA:6510 ASDA:6510 LDA:6510 |
| Markings: | Non-Precision Instrument in good condition. | Non-Precision Instrument in good condition. |
| Glide Slope Indicator | P4L (3.00° Glide Path Angle) | P4L (3.00° Glide Path Angle) |
Runway 18/36
RWY 18/36 NOT AVBL FOR PART 121/PART 380 OPS WITH SKED PAX CARRYING OPS MORE THAN 9 PAX SEATS AND NON-SKED PAX CARRYING OPS MORE THAN 30 PAX SEATS. | ||
| Dimensions: | 4301 x 75 feet / 1311 x 23 meters | |
|---|---|---|
| Surface: | Asphalt in Excellent Condition | |
| Weight Limits: | 11 /F/C/Y/U, S-30 | |
| Runway 18 | Runway 36 | |
| Coordinates: | N38°47.63' / W97°39.69' | N38°46.92' / W97°39.69' |
| Elevation: | 1253.7 | 1287.8 |
| Runway Heading: | 180° True | 360° True |
| Declared Distances: | TORA:4300 TODA:4300 ASDA:4300 LDA:4300 | TORA:4300 TODA:4300 ASDA:4300 LDA:4300 |
| Markings: | Non-Precision Instrument in good condition. | Non-Precision Instrument in good condition. |
Runway 04/22
RWY 04/22 NOT AVBL FOR PART 121/PART 380 OPS WITH SKED PAX CARRYING OPS MORE THAN 9 PAX SEATS AND NON-SKED PAX CARRYING OPS MORE THAN 30 PAX SEATS. | ||
| Dimensions: | 3648 x 75 feet / 1112 x 23 meters | |
|---|---|---|
| Surface: | Asphalt in Good Condition | |
| Weight Limits: | 5 /F/C/Y/U, S-100, D-135, ST-230 | |
| Runway 04 | Runway 22 | |
| Coordinates: | N38°47.17' / W97°39.37' | N38°47.57' / W97°38.79' |
| Elevation: | 1270.7 | 1256.0 |
| Traffic Pattern: | Left | Left |
| Runway Heading: | 49° True | 229° True |
| Declared Distances: | TORA:3648 TODA:3648 ASDA:3648 LDA:3648 | TORA:3648 TODA:3648 ASDA:3648 LDA:3648 |
| Markings: | Basic in fair condition. | Basic in fair condition. |
| Obstacles: | 46 ft Building 1550 ft from runway, 200 ft left of center | |
Helipad H4
| Dimensions: | 57 x 43 feet / 17 x 13 meters | |
|---|---|---|
| Surface: | Asphalt in Good Condition | |
| Coordinates: | N38°47.62' / W97°39.28' | N0°0.00' / E0°0.00' |
| Elevation: | 1253.0 | |
Helipad H1
| Dimensions: | 57 x 57 feet / 17 x 17 meters | |
|---|---|---|
| Surface: | Concrete in Good Condition | |
| Coordinates: | N38°47.31' / W97°38.58' | N0°0.00' / E0°0.00' |
| Elevation: | 1260.0 | |
Helipad H5
| Dimensions: | 57 x 57 feet / 17 x 17 meters | |
|---|---|---|
| Surface: | Concrete in Good Condition | |
| Coordinates: | N38°47.78' / W97°39.43' | N0°0.00' / E0°0.00' |
| Elevation: | 1250.0 | |
Helipad H3
| Dimensions: | 30 x 30 feet / 9 x 9 meters | |
|---|---|---|
| Surface: | Concrete in Good Condition | |
| Coordinates: | N38°47.78' / W97°39.14' | N0°0.00' / E0°0.00' |
| Elevation: | 1250.0 | |
Helipad H6
| Dimensions: | 29 x 29 feet / 9 x 9 meters | |
|---|---|---|
| Surface: | Concrete in Good Condition | |
| Coordinates: | N38°47.01' / W97°39.43' | N0°0.00' / E0°0.00' |
| Elevation: | 1253.0 | |
Helipad H2
| Dimensions: | 29 x 28 feet / 9 x 9 meters | |
|---|---|---|
| Surface: | Asphalt in Good Condition | |
| Coordinates: | N38°47.84' / W97°38.64' | N0°0.00' / E0°0.00' |
| Elevation: | 1260.0 | |
Services Available
| Fuel: | 100LL (blue), Jet-A |
|---|---|
| Transient Storage: | Hangars,Tiedowns |
| Airframe Repair: | MAJOR |
| Engine Repair: | MAJOR |
| Bottled Oxygen: | NONE |
| Bulk Oxygen: | HIGH |
| Other Services: | AIR AMBULANCE SERVICES,CARGO HANDLING SERVICES,CHARTER SERVICE,PILOT INSTRUCTION,AIRCRAFT RENTAL,AIRCRAFT SALES |
Ownership Information
| Ownership: | Publicly owned | |
|---|---|---|
| Owner: | SALINA ARPT AUTH | |
| 3237 ARNOLD AVENUE | ||
| SALINA, KS 67401 | ||
| 785-827-3914 | ||
| Manager: | MR. PIETER MILLER | |
| 3237 ARNOLD AVENUE | ||
| SALINA, KS 67401 | ||
| 785-827-3914 | ||
Other Remarks
- SVC: FLUID- LPOX, HPOX, LPNIT, LOX (72HR NOTICE) DEICING SERVICE TYPE 1& TYPE 4 OIL 0-128-148 AVBL IN QUART CANS TRANS SVC AVBL AT FBO. LOGISTICAL SVC AVBL FOR DETS AND RON AT FBO (AVFLIGHT SALINA, 785-825-6739/CELL 785-819-2236.)
- ARNG: RAMP SPACE AVBL TO ACCOMMODATE UP TO 80 FIGHTERS. SMOKY HILL ANG WEAPONS RANGE 16 NM TO THE SW. COORD RANGE TIME AT DSN 743-7600 EXT 148. MILITARY BILLETING AVAILABLE 888-577-8257. LOGISTIC EQPT AVBL FOR USE. ORDNANCE STORAGE FOR CLASS 1.3 THRU 1.4.
- ARNG: TSNT ARMY ACFT CTC SALINA GUARD OPS ON 229.80 OR 34.10 SC RED. LIMITED UH-60 SVC AND MAINT AVBL.
- 100LL SELF SVC FUELING STN LOCATED SOUTH OF KANSAS ANG.
- GND SUPPORT AND LOGISTICS EQUIP AVBL INCL TUGS, BOBTAILS, TOW BARS AND AIRSTAIRS.
- H1 INGRESS/EGRESS 070 DEG THROUGH 040 DEG TO AVOID CTL TWR.
- ALL HELIPADS DALGT USE ONLY.
- H3, H4, H5, H6 USED EXTSVLY FOR TRNG.
- H2, H3 LTD TO 6,000 LBS; H4, H5 LTD TO 25,000 LBS.
- NO LINE OF SIGHT, ALL RYS DUE TO GRADIENT, TOPOGRAPHY & TREES.
- NOISE ABATEMENT: HEAVY & MIL ACFT TPA AT 2,800 MSL OR ABOVE.
- FOR CD IF UNA TO CTC ON FSS FREQ, CTC KANSAS CITY ARTCC AT 913-254-8508.
- BTN 0001-0459L ACR OPNS INVOLVING ACFT WITH MORE THAN 9 PSGRS SEATS ARE NOT AUTH IN EXCESS OF 15 MINS BFR OR AFT SKED ARR OR DEP TIMES WO PRIOR COORD WITH AMGR TO CFM THAT ARFF SVCS ARE AVBL PRIOR TO LNDG OR TKOF. CALL AMGR 785-827-3914.
- SEASONAL MOWING OPNS ADJ TO RYS & TWYS.
- CALM WND RY 35.
- ARNG: OPR 1300-2300Z++ TUE-FRI; OCNL SAT EXC HOL. LTD MAINT UH-60. ARNG, AR AND A CTC ARNG OPS PRIOR TO LDG OR CALL 785 827 3914 FOR LIASON.
- SVC: JASU- 2(A/M32-95) 2(A/M32-60B) 1(A/M32-86D).
- WHEN ATCT CLSD ACTVT MIRL RY 12/30; PAPI RYS 12 & 30; HIRL RY 17/35; MALS & PAPI RYS 17 & 35; MALSR RY 35 - CTAF.
Weather Minimums
Instrument Approach Procedure (IAP) Charts
Nearby Airports with Instrument Procedures
| ID | Name | Heading / Distance | ||
|---|---|---|---|---|
![]() |
K78 | Abilene Municipal Airport | 070° | 20.7 |
![]() |
KMPR | Mc Pherson Airport | 184° | 26.3 |
![]() |
9K7 | Ellsworth Municipal Airport | 265° | 27.2 |
![]() |
47K | Moundridge Municipal Airport | 168° | 35.6 |
![]() |
KLYO | Lyons-Rice County Municipal Airport | 225° | 38.3 |
![]() |
KHRU | Herington Regional Airport | 097° | 40.0 |
![]() |
3JC | Freeman Field Airport | 067° | 40.8 |
![]() |
KCYW | Clay Center Municipal Airport | 032° | 42.6 |
![]() |
KHUT | Hutchinson Regional Airport | 192° | 44.5 |
![]() |
KCNK | Blosser Municipal Airport | 000° | 45.5 |
![]() |
K61 | Moritz Memorial Airport | 331° | 46.5 |
![]() |
KEWK | Newton-City-County Airport | 157° | 47.4 |









