Login
Register
TOL
Eugene F Kranz Toledo Express Airport
Official FAA Data Effective 2025-11-27 0901Z
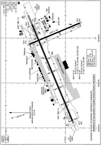
VFR Chart of KTOL
Sectional Charts at SkyVector.com
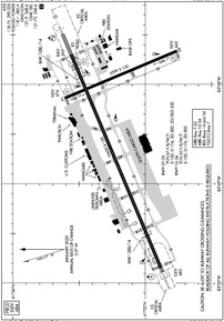
IFR Chart of KTOL
Enroute Charts at SkyVector.com
Location Information for KTOL
Coordinates: N41°35.21' / W83°48.47'Located 10 miles SW of Toledo, Ohio on 2345 acres of land. View all Airports in Ohio.
Surveyed Elevation is 683 feet MSL.
Operations Data
|
|
Airport Communications
| ATIS: | 118.75 290.225 |
|---|---|
| ASOS: | Tel. 419-210-1094 |
| TOLEDO TOWER: | 118.1 285.4 |
| TOLEDO GROUND: | 121.9 348.6 |
| TOLEDO APPROACH: | 123.975 126.1 ;360-179 134.35 ;180-359 307.0 ;360-179 317.55 ;180-359 |
| TOLEDO DEPARTURE: | 123.975 126.1 ;360-179 134.35 ;180-359 307.0 ;360-179 317.55 ;180-359 |
| IC: | 134.35 ;180-359 317.55 ;180-359 |
| CLEARANCE DELIVERY: | 121.75 348.6 |
| UNICOM: | 122.950 |
| EMERG: | 121.5 243.0 |
| CLASS C: | 126.1 ;360-179 134.35 ;180-359 307.0 ;360-179 317.55 ;180-359 |
| AWOS-3 at DUH (11.3 NE): | 119.175 734-856-1563 |
| AWOS-3 at 1G0 (14.2 SE): | 120.725 419-354-1415 |
| AWOS-3P at USE (14.4 W): | 127.375 419-335-0775 |
Nearby Navigation Aids
|
| ||||||||||||||||||||||||||||||||||||||||||||||||||||||||||||
Runway 07/25
| Dimensions: | 10600 x 150 feet / 3231 x 46 meters | |
|---|---|---|
| Surface: | Asphalt / Grooved in Good Condition | |
| Weight Limits: | 67 /F/B/W/T, S-100, D-174, ST-300, DT-550 | |
| Edge Lighting: | High Intensity | |
| Runway 07 | Runway 25 | |
| Coordinates: | N41°34.88' / W83°49.84' | N41°35.56' / W83°47.70' |
| Elevation: | 682.5 | 664.9 |
| Traffic Pattern: | Left | Left |
| Runway Heading: | 67° True | 247° True |
| Declared Distances: | TORA:10599 TODA:10599 ASDA:10599 LDA:10599 | TORA:10599 TODA:10599 ASDA:10599 LDA:10599 |
| Markings: | Precision Instrument in good condition. | Precision Instrument in good condition. |
| Glide Slope Indicator | P4L (3.00° Glide Path Angle) PAPI UNUSBL BYD 8 DEGS RIGHT OF CNTRLN. | |
| RVR Equipment | Touchdown Rollout | Touchdown Rollout |
| Approach Lights: | ALSF2 Standard 2,400 Foot High-intensity Approach Lighting System with sequenced flashers, CATEGORY II or III Configuration. | MALSR 1,400 Foot Medium-intensity Approach Lighting System with runway alignment indicator lights. |
| Centerline Lights: | Yes | Yes |
| Obstacles: | 91 ft Trees 4400 ft from runway, 1000 ft right of center | 75 ft Trees 2600 ft from runway, 760 ft left of center |
Runway 16/34
| Dimensions: | 5599 x 150 feet / 1707 x 46 meters | |
|---|---|---|
| Surface: | Asphalt / Grooved in Good Condition | |
| Weight Limits: | 52 /F/B/W/T, S-100, D-174, ST-300 | |
| Edge Lighting: | Medium Intensity | |
| Runway 16 | Runway 34 | |
| Coordinates: | N41°35.61' / W83°48.14' | N41°34.76' / W83°47.66' |
| Elevation: | 674.2 | 664.7 |
| Traffic Pattern: | Left | Left |
| Runway Heading: | 157° True | 337° True |
| Declared Distances: | TORA:5599 TODA:5599 ASDA:5599 LDA:5599 | TORA:5599 TODA:5599 ASDA:5599 LDA:5599 |
| Markings: | Non-Precision Instrument in good condition. | Non-Precision Instrument in good condition. |
| Glide Slope Indicator | P4L (3.00° Glide Path Angle) | P4L (3.00° Glide Path Angle) |
| REIL: | Yes | Yes |
| Obstacles: | 95 ft Trees 2740 ft from runway, 40 ft right of center | |
Services Available
| Fuel: | 100LL (blue), Jet-A, A++ |
|---|---|
| Transient Storage: | Hangars,Tiedowns |
| Airframe Repair: | MAJOR |
| Engine Repair: | MAJOR |
| Bottled Oxygen: | HIGH |
| Bulk Oxygen: | NONE |
| Other Services: | AIR FREIGHT SERVICES,AVIONICS,CARGO HANDLING SERVICES,CHARTER SERVICE,PILOT INSTRUCTION,AIRCRAFT RENTAL |
Ownership Information
| Ownership: | Publicly owned | |
|---|---|---|
| Owner: | TOLEDO LUCAS COUNTY PORT AUTHORITY | |
| 11013 AIRPORT HWY | ||
| SWANTON, OH 43558-9321 | ||
| 419-865-2351 | ||
| Manager: | CHRIS CURRY | |
| 11013 AIRPORT HWY | ||
| SWANTON, OH 43558-9321 | ||
| 567-703-8631 | ||
Other Remarks
- MILITARY: ANG: TWY D INT TWY D1, HVY ACFT USE MNM PWR TO RDC FOD ON ANG RAMP; FOR QNS CTC COMMAND POST OR AIRFIELD OPS ON 338.15.
- ATIS RECEPTION INTMT 270-320 DEGS, BYD 35 NM.
- MILITARY: ANG: AIRFIELD MGMT DOES NOT ISSUE/STORE COMSEC; FOR COMSEC STORAGE CTC COMMAND POST DSN 580-4035.
- MILITARY: ANG: BIRD HAZ WILDLIFE ACT DURG MIGRATION; BASH PHASE II IN EFF MAR-MAY & AUG-OCT. NSTD BLACK/YELLOW EQPT TOOL BOX LCTN PAINTED ON ANG RAMP.
- CUST: SAT-SUN REQ MUST BE MADE BFR 1700 FRI - CALL 419-732-4446.
- BIRDS ON & INVOF ARPT.
- TWY N3 & RAMP BTN TWY B9 & B13 NOT VSB FM ATCT.
- MILITARY: ANG: PPR - OFFL BUS, ACFT WITH WINGSPANS GTR THAN 75 FT CAN EXP PRKG ON TWY D OR THE SOUTH CARGO RAMP, CTC AIRFIELD OPS DSN 580-4084/4036, C800-495-4250 EXTN 868-4084/868-4036 OR 180.FW.AIRFIELD.MANAGEMENT@US.AF.MIL. 180TH COMMAND POST H24 DSN 580-4035. ALL INBD TSNT ACFT CTC COMMAND POST.
- BAK-14 BAK-12B(B) (1500 FT).
- BAK-14 BAK-12B(B) (1050 FT).
Weather Minimums
Instrument Approach Procedure (IAP) Charts
Nearby Airports with Instrument Procedures
| ID | Name | Heading / Distance | ||
|---|---|---|---|---|
![]() |
KDUH | Toledo Suburban Airport | 037° | 11.3 |
![]() |
1G0 | Wood County Airport | 145° | 14.2 |
![]() |
KUSE | Fulton County Airport | 275° | 14.4 |
![]() |
KTDZ | Toledo Exec Airport | 095° | 14.7 |
![]() |
7W5 | Henry County Airport | 222° | 17.3 |
![]() |
KADG | Lenawee County Airport | 324° | 20.7 |
![]() |
KTTF | Custer Airport | 038° | 27.0 |
![]() |
KFZI | Donald P Miller Airport | 141° | 30.2 |
![]() |
KDFI | Defiance Memorial Airport | 242° | 31.8 |
![]() |
0G6 | Williams County Airport | 257° | 32.3 |
![]() |
14G | Fremont Airport | 117° | 32.9 |
![]() |
KOWX | Putnam County Airport | 193° | 34.0 |









