Login
Register
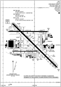
LGB
Long Beach (Daugherty Field) Airport
Official FAA Data Effective 2025-12-25 0901Z
From the Flight Deck
VFR Chart of KLGB
Sectional Charts at SkyVector.com
IFR Chart of KLGB
Enroute Charts at SkyVector.com
Location Information for KLGB
Coordinates: N33°49.08' / W118°9.11'Located 03 miles NE of Long Beach, California on 1166 acres of land. View all Airports in California.
Surveyed Elevation is 60 feet MSL.
Operations Data
|
|
Airport Communications
| ATIS: | 127.75 (562-608-4144) |
|---|---|
| ASOS: | Tel. 562-247-0378 |
| LONG BEACH TOWER: | 119.4 ;RWY 30 APCH, RWY 12 DEP 120.5 ;RWY 12 APCH, RWY 30 DEP 257.6 |
| LONG BEACH GROUND: | 133.0 257.6 |
| SOCAL APPROACH: | 125.35 316.125 |
| SOCAL DEPARTURE: | 127.2 269.6 350.325 ;RWY 08 |
| IC: | 119.4 ;RWY 30 APCH, RWY 12 DEP 120.5 ;RWY 12 APCH, RWY 30 DEP |
| CLEARANCE DELIVERY: | 118.15 |
| TOPMM DP: | 125.35 ;RWY 12 134.9 ;RWY 26R, RWY 30 316.125 ;RWY 12 360.7 ;RWY 26R, RWY 30 |
| ANHEIM DP: | 269.6 ;RWY 26L/R, RWY 30 HECTOR, LAKE HUGES TRANSITION |
| CTAF: | 119.400 |
| EMMLN STAR: | 127.0 318.2 |
| EMERG: | 121.5 243.0 |
| CLASS B: | 134.9 |
| BAUBB STAR: | 127.4 263.025 |
| HAWWC DP: | 125.35 ;RWY 8L/R, RWY 12 134.9 ;RWY 26L/R, RWY 30 316.125 ;RWY 8L/R, RWY 12 360.7 ;RWY 26L/R, RWY 30 |
| FRITR DP: | 125.35 ;RWY 12 127.2 ;RWY 26R, RWY 30 269.6 ;RWY 26R, RWY 30 316.125 ;RWY 12 |
| ZOOMM DP: | 125.35 ;RWY 12 127.2 ;RWY 26R, 30 127.2 ;RWY 26R, RWY 30 269.6 ;RWY 29R, RWY 30 316.125 ;RWY 12 |
| TANDY STAR: | 127.4 263.025 |
| ANAHEIM DP: | 125.35 ;RWY 08L, 08R, 12, VENTURA TRANSITION 127.2 ;RWY 26L/R, RWY 30, HECTOR, LAKE HUGHES 134.9 ;RWY 26L/R, RWY 30 VENTURA TRANSITION 316.125 ;RWY 8L/R, RWY 12 VENTRA TRANSITION 316.125 ;RWY 8L/R, RWY 12 HECTOR OR LAKE HUGES TRANSITION 360.7 ;RWY 26L/R, RWY 30 VENTURA TRANSITION |
| ROOBY STAR: | 134.0 278.3 |
| PCIFC STAR: | 127.4 263.025 |
| UNICOM: | 122.950 |
| DSNEE STAR: | 134.0 278.3 |
| ATIS at SLI (5.3 E): | 118.875 |
| AWOS-3PT at CPM (6.4 NW): | 127.150 310-631-3022 |
| ASOS at FUL (9.2 E): | 714-870-1372 |
- TA31
- SAID IN USE. OPERATE TRANSPONDERS WITH ALTITUDE REPORTING MODE AND ADS-B (IF EQUIPPED) ENABLED ON ALL AIRPORT SURFACES.
Nearby Navigation Aids
|
| ||||||||||||||||||||||||||||||||||||||||||
Runway 12/30
| Dimensions: | 10000 x 200 feet / 3048 x 61 meters | |
|---|---|---|
| Surface: | Asphalt / Grooved in Good Condition | |
| Weight Limits: | S-120, D-250, ST-550, DT-1120
MAX LDG WGTS A-330 347000 LBS; A-340 379000 LBS; DC-10-10 DC-10 30/40 & MD-11 379000 LBS; L-1011 354000 LBS. RY 12/30 MAX TKOF WGTS DC-10 30/40 & MD-11 588000 LBS; C-17 538600 LBS.
PCR VALUE: 721/F/A/X/T
| |
| Edge Lighting: | High Intensity | |
| Runway 12 | Runway 30 | |
| Coordinates: | N33°49.57' / W118°9.69' | N33°48.41' / W118°8.29' |
| Elevation: | 60.4 | 25.7 |
| Traffic Pattern: | Left | Left |
| Runway Heading: | 135° True | 315° True |
| Displaced Threshold: | 1350 Feet | 2000 Feet |
| Declared Distances: | TORA:10000 TODA:10000 ASDA:10000 LDA:8650 | TORA:10000 TODA:10000 ASDA:9414 LDA:7414 |
| Markings: | Precision Instrument in good condition. | Precision Instrument in good condition. |
| Glide Slope Indicator | P4L (3.00° Glide Path Angle) | P4L (3.00° Glide Path Angle) |
| RVR Equipment | Rollout | Touchdown |
| Approach Lights: | MALSR 1,400 Foot Medium-intensity Approach Lighting System with runway alignment indicator lights. | |
| REIL: | Yes | |
| Centerline Lights: | Yes | Yes |
| Obstacles: | 8 ft Fence 200 ft from runway, 500 ft left of center APCH RATIO 50:1 TO DSPLCD THR. 6 FT POLE 190 FT FM RY END; FENCE 490 FT L OF CNTRLN. |
42 ft Tree 1480 ft from runway, 630 ft right of center APCH RATIO 50:1 TO DSPLCD THR. |
Runway 08L/26R
| Dimensions: | 6192 x 150 feet / 1887 x 46 meters | |
|---|---|---|
| Surface: | Asphalt / Grooved in Excellent Condition | |
| Weight Limits: | S-120, D-239, ST-411, DT-946
PCR VALUE: 599/F/B/X/T
| |
| Edge Lighting: | Medium Intensity | |
| Runway 08L | Runway 26R | |
| Coordinates: | N33°49.37' / W118°9.81' | N33°49.36' / W118°8.59' |
| Elevation: | 58.1 | 38.1 |
| Traffic Pattern: | Left | Right |
| Runway Heading: | 90° True | 270° True |
| Displaced Threshold: | 1305 Feet | 532 Feet |
| Declared Distances: | TORA:6192 TODA:6192 ASDA:6192 LDA:4887 | TORA:6192 TODA:6192 ASDA:6192 LDA:5660 |
| Markings: | Non-Precision Instrument in good condition. | Non-Precision Instrument in good condition. |
| Glide Slope Indicator | P4L (3.10° Glide Path Angle) | |
| REIL: | Yes | |
| Obstacles: | 78 ft Pole 200 ft from runway, 36 ft right of center APCH RATIO 20:1 TO DSPLCD THR. 6 FT FENCE 190 FT FM RY END WITH OBSTRUCTION LGT. |
16 ft Road 300 ft from runway, 200 ft right of center APCH RATIO 34:1 TO DSPLCD THR. |
Runway 08R/26L
RWY 08R/26L NOT AVBL FOR PART 121/PART 380 OPS WITH SKED PAX CARRYING OPS MORE THAN 9 PAX SEATS AND NON-SKED PAX CARRYING OPS MORE THAN 30 PAX SEATS. | ||
| Dimensions: | 3918 x 100 feet / 1194 x 30 meters | |
|---|---|---|
| Surface: | Asphalt in Good Condition | |
| Weight Limits: | S-75, D-109, ST-176
PCR VALUE: 297/F/C/X/T
| |
| Edge Lighting: | High Intensity | |
| Runway 08R | Runway 26L | |
| Coordinates: | N33°48.83' / W118°9.68' | N33°48.83' / W118°8.90' |
| Elevation: | 52.9 | 34.6 |
| Traffic Pattern: | Right | Left |
| Runway Heading: | 90° True | 270° True |
| Declared Distances: | TORA:3918 TODA:3918 ASDA:3918 LDA:3918 | TORA:3918 TODA:3918 ASDA:3918 LDA:3918 |
| Markings: | Non-Precision Instrument in good condition. | Non-Precision Instrument in good condition. |
| Glide Slope Indicator | P4L (3.00° Glide Path Angle) | P4L (3.00° Glide Path Angle) |
| REIL: | Yes | Yes |
| Obstacles: | 102 ft Tower 2500 ft from runway, 500 ft right of center LGTD TOWER 152 FT AGL 2500 FT WEST & 500 FT SOUTH OF RY THLD. |
61 ft Trees 1420 ft from runway, 300 ft right of center |
Helipad H3
| Dimensions: | 300 x 35 feet / 91 x 11 meters | |
|---|---|---|
| Surface: | Asphalt in Good Condition | |
| Coordinates: | N33°49.23' / W118°9.06' | N0°0.00' / E0°0.00' |
| Elevation: | 41.9 | |
| Markings: | Numbers Only in good condition. | |
Helipad H2
| Dimensions: | 20 x 20 feet / 6 x 6 meters | |
|---|---|---|
| Surface: | Asphalt in Good Condition | |
| Coordinates: | N33°49.19' / W118°9.00' | N0°0.00' / E0°0.00' |
| Elevation: | 40.1 | |
| Markings: | Numbers Only in good condition. | |
Helipad H4
| Dimensions: | 20 x 20 feet / 6 x 6 meters | |
|---|---|---|
| Surface: | Asphalt in Good Condition | |
| Coordinates: | N33°49.26' / W118°9.13' | N0°0.00' / E0°0.00' |
| Elevation: | 43.0 | |
| Markings: | Numbers Only in good condition. | |
Helipad H5
| Dimensions: | 20 x 20 feet / 6 x 6 meters | |
|---|---|---|
| Surface: | Asphalt in Good Condition | |
| Coordinates: | N33°48.92' / W118°9.29' | N0°0.00' / E0°0.00' |
| Elevation: | 41.4 | |
| Markings: | Numbers Only in good condition. | |
Services Available
| Fuel: | 100LL (blue), Jet-A, UL94 |
|---|---|
| Transient Storage: | Hangars,Tiedowns |
| Airframe Repair: | MAJOR |
| Engine Repair: | MAJOR |
| Bottled Oxygen: | HIGH/LOW |
| Bulk Oxygen: | HIGH/LOW |
| Other Services: | AIR FREIGHT SERVICES,AIR AMBULANCE SERVICES,AVIONICS,BEACHING GEAR,CHARTER SERVICE,PILOT INSTRUCTION,AIRCRAFT RENTAL,AIRCRAFT SALES,ANNUAL SURVEYING |
Ownership Information
| Ownership: | Publicly owned | |
|---|---|---|
| Owner: | CITY OF LONG BEACH | |
| CITY HALL 333 W. OCEAN | ||
| LONG BEACH, CA 90802 | ||
| 562-570-2640 | ||
| Manager: | CYNTHIA GUIDRY | DIRECTOR |
| 4100 DONALD DOUGLAS DR | ||
| LONG BEACH, CA 90808 | ||
| (562) 570-2605 | JUAN LOPEZ-RIOS (DEPUTY DIR) 562-570-2608. RON REEVES (SUPT ARPT OPNS) 562-570-1251. ARPT BUR FAX 562-570-2601; NOISE OFC 562-570-2635; PUB AFFAIRS 562-570-2665. | |
Other Remarks
- 6 FT LIGHTED CHAIN LINK FENCE LCTD 130 FT SOUTH OF CNTRLN OF TWY F. FENCE BEGINS NW CORNER OF ATCT & EXTENDS 400 FT TO WEST.
- ENGINE RUN-UPS, OTHER THAN PRE-FLIGHT, ARE LIMITED TO HRS OF 0700-2100 WEEKDAYS & 0900-2100 WEEKENDS & HOLIDAYS.
- HELIPAD H2, H4, & H5 20 X 20 ASPH. HELIPAD H3 35 X 300 ASPH.
- RY 12/30 FAA STRENGTH EVALUATION DC-10-10 440000 LBS; DC-10-30 550000 LBS; L-1011 460000 LBS.
- MAX LDG WGT FOR C17AT OR BYD GLIDE SLOPE OR RY AIMING POINT MARKING 538600 LBS; RY 30 LDG PRIOR TORY AIMING POINT MARKING 344000 LBS.
- AIRSHIPS MOORED IN INFIELD AND OPERATING INVOF ARPT.
- MAX TKOF WGT DC-10 30/40 & MD-11 588100 LBS; C-17 538600 LBS. TWYS D3 & L3 WGT LIMITS A-340 DC-10 30/40 & MD-11 541000 LBS; C-17 450000 LBS.
- THE FLWG WT LMTNS ARE IMPOSED BASED ON POTENTIAL STRUCTURAL STRENGTH OF LAKEWOOD BLVD AND SPRING STREET TUNNELS: RWY 12/30 MAX LDG WTS A-330 347000 LBS; A-340 379000 LBS; DC-10-10, DC-10-30/40 & MD-11 379000 LBS; L-1011 354000 LBS. RWY 12/30 MAX TKOF WTS DC-10-30/40 & MD-11 588000 LBS; C-17 538600 LBS.
- NO TWY ACCESS TO RWY 08L W OF TWY D; 4897 FT REMAINING ON RWY 08L FROM TWY D.
- 24 HR PRIOR NOTICE REQD FOR MIL JETS AND CIVILIAN NON-STAGE III JETS; CTC NOISE OFC 562-570-2635 MON-FRI 0800-1700.
- ALL RYS CLSD 2200-0700 LCL EXCP RY 12/30.
- BIRDS ON & INV OF ARPT
- TRNG HELIPADS H2, H3 & H4 LOCATED N OF RWY 12/30 MIDFIELD BTN TWYS G & K. TRNG HELIPAD H5 LOCATED S OF RWY 12/30 BTN TWYS D & J FOR HOVER WORK ONLY.
- NO RUNNING LDGS/TKOFS BY HELS WITH SKID-TYPE LDG GEAR, ON RWY 08L-26R. ROLLING LDGS/TKOFS WITH HELS WITH WHEEL-TYPE LDG GEAR ARE PMTD.
- TOUCH & GO, STOP & GO, PRACTICE LOW APCH, VFR PRACTICE MISSED APCH ONLY PMTD 0700-1900 WKDAYS & 0800-1500 WKENDS & HOLS ONLY ON RWYS 08L/26R & 08R/26L.
- NO FLD COND NOTAMS AVBL 2200-0700.
- ALL ACFT ON OR ENTERING LEFT DOWNWIND RWY 26L MUST REMAIN NORTH OF SIGNAL HILL UNLESS SPECIFICALLY INSTRUCTED BY ATC OTHERWISE.
- ALL ACFT ON DOWNWIND RWY 26L ARE NOT AUTH TO TURN BASE OR BEGIN DESCENT UNTIL EAST OF RWY 30 UNLESS SPECIFICALLY INSTRUCTED TO DO SO BY ATC.
- ALL ACFT ON DOWNWIND RWY 08L ARE NOT AUTH TO TURN BASE OR BEGIN DESCENT UNTIL WEST OF RWY 12 UNLESS SPECIFICALLY INSTRUCTED TO DO SO BY ATC.
- FOR CD WHEN ATCT CLSD CTC SOCAL APCH AT 800-448-3724.
- RY 12/30 LGTD DISTANCE REMAINING SIGNS WEST SIDE.
- NOISE LIMITS (DECIBELS SGL EVENT NOISE EXPOSURE LEVEL) RWY 26R TKOF 92.0 LDG 88.0; RWY 08L TKOF 88.0 LDG 92.0; RWY 26L TKOF 95.0 LDG 93.0; RWY 08R TKOF 95.0 LDG 92.0. RWYS 12 & 30 0700-2200 TKOF 102.5 LDG 101.5; 0600-0700 & 2200-2300 TKOF 90.0 LDG 90.0; 2300-0600 TKOF 79.0 LDG 79.0.
- TWYS D3 AND L3 WGT LIMITS A340 DC10 30/40 & MD11 541000 LBS; C17 450000 LBS.
- WHEN ATCT CLSD ACTVT MALSR RWY 30; REIL RWYS 08R, 12, 26L & 26R; PAPI RWYS 12, 08R, 26L & 26R; HIRL RWY 08R/26L; MIRL RWY 08L/26R - CTAF. HIRL, TDZL & CL LIGHTS RWY 12/30 OPER CONSLY WHEN ATCT CLSD. PAPI RWY 30 OPER CONSLY.
Weather Minimums
Standard Terminal Arrival (STAR) Charts
Instrument Approach Procedure (IAP) Charts
Departure Procedure (DP) Charts
Nearby Airports with Instrument Procedures
| ID | Name | Heading / Distance | ||
|---|---|---|---|---|
![]() |
KSLI | Los Alamitos AAF Airport | 108° | 5.3 |
![]() |
KFUL | Fullerton Municipal Airport | 069° | 9.2 |
![]() |
KTOA | Zamperini Field Airport | 264° | 9.4 |
![]() |
KHHR | Jack Northrop Field/Hawthorne Municipal Airport | 304° | 11.1 |
![]() |
KLAX | Los Angeles International Airport | 300° | 14.8 |
![]() |
KSNA | John Wayne/Orange County Airport | 120° | 16.6 |
![]() |
KEMT | San Gabriel Valley Airport | 019° | 17.1 |
![]() |
KSMO | Santa Monica Municipal Airport | 308° | 19.1 |
![]() |
KPOC | Brackett Field Airport | 048° | 24.7 |
![]() |
KBUR | Bob Hope Airport | 335° | 25.1 |
![]() |
KCNO | Chino Airport | 069° | 27.4 |
![]() |
KAJO | Corona Municipal Airport | 079° | 27.9 |










Comments
Tips from the Tower
Pages