Login
Register
BNA
Nashville International Airport
Official FAA Data Effective 2025-11-27 0901Z
From the Flight Deck
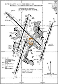
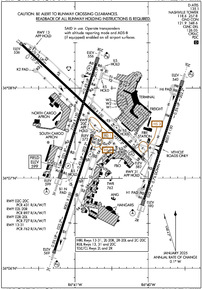
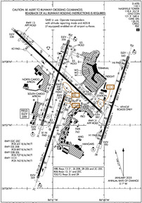
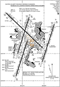
VFR Chart of KBNA
Sectional Charts at SkyVector.com
IFR Chart of KBNA
Enroute Charts at SkyVector.com
Location Information for KBNA
Coordinates: N36°7.47' / W86°40.69'Located 05 miles SE of Nashville, Tennessee on 4555 acres of land. View all Airports in Tennessee.
Surveyed Elevation is 599 feet MSL.
Operations Data
|
|
Airport Communications
| D-ATIS: | 135.1 |
|---|---|
| ASOS: | Tel. 629-236-5115 |
| NASHVILLE TOWER: | 118.6 257.8 |
| NASHVILLE GROUND: | 121.9 348.6 |
| NASHVILLE APPROACH: | 118.4 ;030-196 119.35 ;197-029 360.7 ;030-196 372.0 ;197-029 |
| NASHVILLE DEPARTURE: | 118.4 ;030-196 119.35 ;197-029 360.7 ;030-196 372.0 ;197-029 |
| IC: | 118.4 ;030-196 119.35 ;197-029 360.7 ;030-196 372.0 ;197-029 |
| CLEARANCE DELIVERY: | 126.05 |
| HGGRD DP: | 119.35 372.0 |
| PARDN DP: | 119.35 372.0 |
| PASLY STAR: | 118.4 360.7 |
| DANLS DP: | 119.35 372.0 |
| EMERG: | 121.5 243.0 |
| SWFFT STAR: | 118.4 360.7 |
| NASHVILLE DP: | 118.4 ;EAST 119.35 ;WEST 360.7 ;EAST 372.0 ;WEST |
| GDOGG DP: | 119.35 372.0 |
| EVVAN DP: | 118.4 360.7 |
| PRE TAXI CLNC: | 126.05 |
| KRSTA DP: | 119.35 372.0 |
| RYYMN STAR: | 119.35 372.0 |
| TAZMO DP: | 118.4 360.7 |
| CLASS C: | 118.4 ;030-196 119.35 ;197-029 360.7 ;030-196 372.0 ;197-029 |
| FLAME DP: | 118.4 360.7 |
| UNICOM: | 122.950 |
| DRURY DP: | 119.35 372.0 |
| CHSNE STAR: | 119.35 372.0 |
| CHADM DP: | 118.4 360.7 |
| ALCP: | 314.4 |
| TIPPN DP: | 118.4 360.7 |
| AWOS-3 at JWN (10.6 W): | 615-350-6222 |
| ATIS at JWN (10.7 W): | 127.075 |
| AWOS-3PT at MQY (10.8 SE): | 119.125 615-223-7716 |
- SAID IN USE. OPERATE TRANSPONDERS WITH ALTITUDE REPORTING MODE AND ADS-B (IF EQUIPPED) ENABLED ON ALL AIRPORT SURFACES.
Nearby Navigation Aids
|
| ||||||||||||||||||||||||||||||||||||||||||||||||||||||||||||
Runway 13/31
| Dimensions: | 11030 x 150 feet / 3362 x 46 meters | |
|---|---|---|
| Surface: | Concrete / Grooved in Good Condition | |
| Edge Lighting: | High Intensity | |
| Runway 13 | Runway 31 | |
| Coordinates: | N36°8.48' / W86°41.72' | N36°7.23' / W86°40.09' |
| Elevation: | 535.9 | 582.3 |
| Traffic Pattern: | Left | Left |
| Runway Heading: | 133° True | 313° True |
| Displaced Threshold: | 800 Feet | 741 Feet |
| Declared Distances: | TORA:10288 TODA:11029 ASDA:10288 LDA:9487 | TORA:10228 TODA:11029 ASDA:10228 LDA:9487 |
| Markings: | Precision Instrument in good condition. | Precision Instrument in good condition. |
| Glide Slope Indicator | P4R (3.00° Glide Path Angle) | |
| REIL: | Yes | Yes |
| Obstacles: | ft Trees ft from runway APCH RATIO 50:1 TO DTHR. |
ft Tree ft from runway APCH RATIO 50:1 TO DTHR. |
Runway 02C/20C
| Dimensions: | 8001 x 150 feet / 2439 x 46 meters | |
|---|---|---|
| Surface: | Concrete / Grooved in Good Condition | |
| Weight Limits: | S-120, D-204, ST-386, DT-885
PCR VALUE: 615/R/A/W/T
| |
| Edge Lighting: | High Intensity | |
| Runway 02C | Runway 20C | |
| Coordinates: | N36°6.20' / W86°41.28' | N36°7.45' / W86°40.78' |
| Elevation: | 569.1 | 571.8 |
| Traffic Pattern: | Left | Left |
| Runway Heading: | 18° True | 198° True |
| Declared Distances: | TORA:8001 TODA:8001 ASDA:7601 LDA:7601 | TORA:8001 TODA:8001 ASDA:8001 LDA:8001 |
| Markings: | Precision Instrument in good condition. | Precision Instrument in good condition. |
| Glide Slope Indicator | P4L (3.00° Glide Path Angle) | P4L (3.00° Glide Path Angle) |
| RVR Equipment | Touchdown | Rollout |
| Approach Lights: | MALSR 1,400 Foot Medium-intensity Approach Lighting System with runway alignment indicator lights. | |
| REIL: | Yes | |
Runway 02R/20L
| Dimensions: | 8001 x 150 feet / 2439 x 46 meters | |
|---|---|---|
| Surface: | Concrete / Grooved in Good Condition | |
| Edge Lighting: | High Intensity | |
| Runway 02R | Runway 20L | |
| Coordinates: | N36°6.76' / W86°40.06' | N36°8.02' / W86°39.56' |
| Elevation: | 589.8 | 540.0 |
| Runway Heading: | 18° True | 198° True |
| Declared Distances: | TORA:8000 TODA:8000 ASDA:8000 LDA:8000 | TORA:8000 TODA:8000 ASDA:8000 LDA:8000 |
| Markings: | Precision Instrument in good condition. | Precision Instrument in good condition. |
| Glide Slope Indicator | P4L (3.00° Glide Path Angle) | |
| RVR Equipment | Touchdown Midfield Rollout | Touchdown Midfield Rollout |
| Approach Lights: | ALSF2 Standard 2,400 Foot High-intensity Approach Lighting System with sequenced flashers, CATEGORY II or III Configuration. | MALSR 1,400 Foot Medium-intensity Approach Lighting System with runway alignment indicator lights. |
| Centerline Lights: | Yes | Yes |
Runway 02L/20R
| Dimensions: | 7704 x 150 feet / 2348 x 46 meters | |
|---|---|---|
| Surface: | Concrete / Grooved in Good Condition | |
| Edge Lighting: | High Intensity | |
| Runway 02L | Runway 20R | |
| Coordinates: | N36°7.06' / W86°41.19' | N36°8.27' / W86°40.71' |
| Elevation: | 598.7 | 555.6 |
| Traffic Pattern: | Left | Left |
| Runway Heading: | 18° True | 198° True |
| Declared Distances: | TORA:7702 TODA:7702 ASDA:7702 LDA:7702 | TORA:7702 TODA:7702 ASDA:7702 LDA:7702 |
| Markings: | Precision Instrument in good condition. | Precision Instrument in good condition. |
| Glide Slope Indicator | P4R (3.00° Glide Path Angle) | P4R (3.00° Glide Path Angle) |
| RVR Equipment | Touchdown Rollout | Touchdown Rollout |
| Approach Lights: | ALSF2 Standard 2,400 Foot High-intensity Approach Lighting System with sequenced flashers, CATEGORY II or III Configuration. | MALSF 1,400 Foot Medium-intensity Approach Lighting System with sequenced flashers. |
| Centerline Lights: | Yes | Yes |
Services Available
| Fuel: | 100LL (blue), Jet-A |
|---|---|
| Transient Storage: | Hangars,Tiedowns |
| Airframe Repair: | MAJOR |
| Engine Repair: | MAJOR |
| Bottled Oxygen: | LOW |
| Bulk Oxygen: | LOW |
| Other Services: | AIR FREIGHT SERVICES,AIR AMBULANCE SERVICES,AVIONICS,CARGO HANDLING SERVICES,CHARTER SERVICE,PILOT INSTRUCTION,AIRCRAFT RENTAL,AIRCRAFT SALES |
Ownership Information
| Ownership: | Publicly owned | |
|---|---|---|
| Owner: | METRO NASHVILLE ARPT AUTH | |
| 140 BNA PARK DR. SUITE 520 | ||
| NASHVILLE, TN 37214 | ||
| 615-275-1600 | ||
| Manager: | ADAM FLOYD | |
| 140 BNA PARK DR. SUITE 520 | ||
| NASHVILLE, TN 37214 | ||
| 615-275-1546 | ||
Other Remarks
- 180 DEG TURNS OVR 12500 LBS NA ON ASPH SFC.
- FLT OVR MAIN TRML NA.
- BIRD ACT ON & INVOF ARPT.
- DO NOT CONFUSE TWY S FOR RWY 20C.
- CTN: READ BACK & COMPLIANCE OF RWY HLDG INSTRN RQR; SPCLY TWY K & RWY 20C, TWY L AT RWY 13 & TWY H AT RWY 31.
- ANG: PPR - PPR RQR 48 HOURS PRIOR FOR ALL TRAN ACFT. CASHH OPS 615-367-5567.
- MIL & ACFT MORE THAN 12500 LB PRAC APCH NA; PRAC APCH BTN 2300-0700 NA.
- TRML APRON TAX BTN ACR PUSHBACK OPS & GATES NA.
- ADHERE TO TWY & TXL CNTRLN WI TRML APRON.
- BNA SVC NORTH RAMP TWR OPN DLY- 0400- 0100 - 131.90.
- FLT NOTIFICATION SVC (ADCUS) AVBL.
- PAVEMENT ON W SIDE OF RWY 2R/20L BTN TXY H3 & H4 MKD AS A VEHICLE ACES ROAD ONLY.
- BNA SVC SOUTH RAMP TWR OPN DLY- 0400-0100 - 129.95.
- TRML APRON TXL Z, Y1, Y2 & TXL Y BTN TXL Y3 & Y4 CLSD TO WINGSPAN MORE THAN 118 FT.
- BNA SVC CNTRL RAMP/GUITAR PICK RAMP TWR OPN DLY 0400-0100 - 131.375.
- 96 HR PPR FOR WINGSPAN GTR THAN 214 FT - 615-275-1612.
- PPR BFR GA & CARGO PROCD TO AIRLINE TRML GATE FOR DEICE OPS.
- PILOTS CONDUCTING EFVS OPS; BE AWARE LED ALS IN USE RWY 20R.
- LGTD PERIMETER FENCE LCTD IN ROFA, WEST OF RWY 2C/20C AT MIDPT.
- TBJT RWY NOISE ABATEMENT PROC; MIL TBJT USE RWY 13/31 FOR ARR & DEP.
- LGTD JET BLAST FENCE 568 FT MSL 1167 FT NW THR.
- LGTD JET BLAST FENCE 598 FT MSL 1100 FT SE THR.
Weather Minimums
Standard Terminal Arrival (STAR) Charts
Instrument Approach Procedure (IAP) Charts
- ILS OR LOC RWY 02C

- ILS OR LOC RWY 02L

- ILS OR LOC RWY 02R

- ILS OR LOC RWY 20L

- ILS OR LOC RWY 20R

- ILS OR LOC RWY 31

- ILS RWY 02L (SA CAT I)

- ILS RWY 02R (SA CAT I)

- ILS RWY 02L (CAT II - III)

- ILS RWY 02R (CAT II - III)

- RNAV (RNP) Z RWY 02C

- RNAV (RNP) Z RWY 02L

- RNAV (RNP) Z RWY 02R

- RNAV (RNP) Z RWY 20L

- RNAV (RNP) Z RWY 20R

- RNAV (RNP) Z RWY 31

- RNAV (GPS) RWY 13

- RNAV (GPS) RWY 20C

- RNAV (GPS) Y RWY 02C

- RNAV (GPS) Y RWY 02L

- RNAV (GPS) Y RWY 02R

- RNAV (GPS) Y RWY 20L

- RNAV (GPS) Y RWY 20R

- RNAV (GPS) Y RWY 31

Departure Procedure (DP) Charts
- CHADM FOUR (RNAV)

- CHADM FOUR (RNAV), CONT.1

- DANLS FOUR (RNAV)

- DANLS FOUR (RNAV), CONT.1

- DRURY FOUR (RNAV)

- DRURY FOUR (RNAV), CONT.1

- FLAME FOUR (RNAV)

- FLAME FOUR (RNAV), CONT.1

- GDOGG FOUR (RNAV)

- GDOGG FOUR (RNAV), CONT.1

- KRSTA FOUR (RNAV)

- KRSTA FOUR (RNAV), CONT.1

- NASHVILLE SEVEN

- NASHVILLE SEVEN, CONT.1

- PARDN FOUR (RNAV)

- PARDN FOUR (RNAV), CONT.1

- TAZMO FOUR (RNAV)

- TAZMO FOUR (RNAV), CONT.1

- TIPPN FOUR (RNAV)

- TIPPN FOUR (RNAV), CONT.1

Nearby Airports with Instrument Procedures
| ID | Name | Heading / Distance | ||
|---|---|---|---|---|
![]() |
KMQY | Smyrna Airport | 131° | 10.3 |
![]() |
KJWN | John C Tune Airport | 289° | 10.7 |
![]() |
M54 | Lebanon Municipal Airport | 077° | 18.1 |
![]() |
KXNX | Music City Exec Airport | 041° | 19.9 |
![]() |
KMBT | Murfreesboro Municipal Airport | 135° | 20.8 |
![]() |
M91 | Springfield Robertson County Airport | 334° | 27.4 |
![]() |
1M5 | Douglas Hunter Field Airport | 019° | 29.7 |
![]() |
KSYI | Bomar Field/Shelbyville Municipal Airport | 161° | 35.8 |
![]() |
M02 | Dickson Municipal Airport | 270° | 36.5 |
![]() |
KLUG | Ellington Airport | 189° | 37.5 |
![]() |
3M7 | Lafayette Municipal Airport | 051° | 38.3 |
![]() |
4M7 | Russellville-Logan County Airport | 351° | 41.0 |








