Login
Register
COS
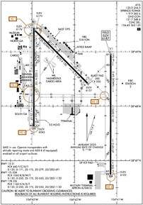
City of Colorado Springs Municipal Airport
Official FAA Data Effective 2026-02-19 0901Z
From the Flight Deck
VFR Chart of KCOS
Sectional Charts at SkyVector.com
IFR Chart of KCOS
Enroute Charts at SkyVector.com
Location Information for KCOS
Coordinates: N38°48.35' / W104°42.05'Located 06 miles SE of Colorado Springs, Colorado on 7200 acres of land. View all Airports in Colorado.
Surveyed Elevation is 6187 feet MSL.
Operations Data
|
|
Airport Communications
| ATIS: | 125.0 (719-596-7040) 254.3 (719-596-7040) |
|---|---|
| ASOS: | 125.0 Tel. 719-694-7502 |
| SPRINGS TOWER: | 119.9 133.15 335.55 360.6 |
| SPRINGS GROUND: | 121.7 348.6 |
| SPRINGS APPROACH: | 120.6 124.0 257.875 |
| SPRINGS DEPARTURE: | 124.0 257.875 |
| CLEARANCE DELIVERY: | 134.45 363.125 |
| CLASS C: | 124.0 257.875 |
| UNICOM: | 122.950 |
| DUNNN STAR: | 124.0 257.875 |
| EMERG: | 121.5 243.0 |
| PMSV METRO: | 226.1 |
| PTD: | 122.85 372.2 |
| COMD POST: | 318.05 328.025 |
| ASOS at CO90 (0.0 S): | 125.0 719-637-9696 |
| ATIS at FCS (8.1 S): | 226.3 |
| AWOS-3 at FCS (8.2 S): | 125.0 719-637-9696 |
- PTD LTD TO PETERSON RAMP ONLY.
- COMMUNICATIONS PRVDD BY DENVER RADIO ON FREQ 122.4 (BLACK FOREST RCO).
- SAID IN USE. OPERATE TRANSPONDERS WITH ALTITUDE REPORTING MODE AND ADS-B (IF EQUIPPED) ENABLED ON ALL AIRPORT SURFACES.
Nearby Navigation Aids
|
| ||||||||||||||||||||||||||||||||||||||||||||||||
Runway 17L/35R
| Dimensions: | 13500 x 150 feet / 4115 x 46 meters | |
|---|---|---|
| Surface: | Concrete / Grooved in Good Condition | |
| Weight Limits: | S-120, D-250, ST-550, DT-1120
PCR VALUE: 1060/R/B/W/T
| |
| Edge Lighting: | High Intensity | |
| Runway 17L | Runway 35R | |
| Coordinates: | N38°48.97' / W104°41.14' | N38°46.74' / W104°41.15' |
| Elevation: | 6187.0 | 6102.7 |
| Runway Heading: | 180° True | 0 |
| Declared Distances: | TORA:13501 TODA:13501 ASDA:13501 LDA:13501 | TORA:13501 TODA:13501 ASDA:13501 LDA:13501 |
| Markings: | Precision Instrument in good condition. | Precision Instrument in good condition. |
| Glide Slope Indicator | P4L (3.00° Glide Path Angle) | P4R (3.00° Glide Path Angle) |
| RVR Equipment | Touchdown Rollout | Touchdown Rollout |
| Approach Lights: | MALSR 1,400 Foot Medium-intensity Approach Lighting System with runway alignment indicator lights. | |
| REIL: | Yes | |
| Centerline Lights: | Yes | Yes |
Runway 17R/35L
| Dimensions: | 11022 x 150 feet / 3360 x 46 meters | |
|---|---|---|
| Surface: | Asphalt / Grooved in Good Condition | |
| Weight Limits: | S-120, D-250, ST-550, DT-1120
PCR VALUE: 1160/F/A/X/T
| |
| Edge Lighting: | High Intensity | |
| Runway 17R | Runway 35L | |
| Coordinates: | N38°49.44' / W104°42.95' | N38°47.63' / W104°42.96' |
| Elevation: | 6176.4 | 6045.0 |
| Traffic Pattern: | Left | Left |
| Runway Heading: | 180° True | 0 |
| Declared Distances: | TORA:11022 TODA:11022 ASDA:11022 LDA:11022 | TORA:11022 TODA:11022 ASDA:11022 LDA:11022 |
| Markings: | Precision Instrument in good condition. | Precision Instrument in good condition. |
| Glide Slope Indicator | P4L (3.00° Glide Path Angle) | P4L (3.00° Glide Path Angle) |
| RVR Equipment | Touchdown Rollout | Touchdown Rollout |
| Approach Lights: | MALSR 1,400 Foot Medium-intensity Approach Lighting System with runway alignment indicator lights. | |
| REIL: | Yes | |
Runway 13/31
| Dimensions: | 8270 x 150 feet / 2521 x 46 meters | |
|---|---|---|
| Surface: | Asphalt / Grooved in Good Condition | |
| Weight Limits: | S-120, D-171, ST-279, DT-691
PCR VALUE: 460/F/C/X/T
| |
| Edge Lighting: | Medium Intensity | |
| Runway 13 | Runway 31 | |
| Coordinates: | N38°49.39' / W104°42.92' | N38°48.42' / W104°41.69' |
| Elevation: | 6173.1 | 6137.1 |
| Traffic Pattern: | Left | Left |
| Runway Heading: | 135° True | 315° True |
| Displaced Threshold: | 356 Feet | |
| Declared Distances: | TORA:8270 TODA:8270 ASDA:8270 LDA:8270 | TORA:8270 TODA:8270 ASDA:8270 LDA:7914 |
| Markings: | Non-Precision Instrument in good condition. | Non-Precision Instrument in good condition. |
| Glide Slope Indicator | P4R (3.00° Glide Path Angle) | P4L (3.04° Glide Path Angle) |
| REIL: | Yes | Yes |
| Obstacles: | 10 ft Hill 400 ft from runway, 340 ft left of center | |
Services Available
| Fuel: | 100LL (blue), Jet-A |
|---|---|
| Transient Storage: | Hangars,Tiedowns |
| Airframe Repair: | MAJOR |
| Engine Repair: | MAJOR |
| Bottled Oxygen: | NONE |
| Bulk Oxygen: | HIGH |
| Other Services: | AIR FREIGHT SERVICES,AIR AMBULANCE SERVICES,AVIONICS,CARGO HANDLING SERVICES,CHARTER SERVICE,PILOT INSTRUCTION,AIRCRAFT RENTAL,AIRCRAFT SALES,ANNUAL SURVEYING |
Ownership Information
| Ownership: | Publicly owned | |
|---|---|---|
| Owner: | CITY OF COLORADO SPRINGS | |
| 7770 MILTON E PROBY PKWY, SUITE 50 | ||
| COLORADO SPRINGS, CO 80916 | ||
| (719) 550-1919 | ||
| Manager: | ALEXANDRU KOVACS | |
| 7770 MILTON E PROBY PKWY, SUITE 50 | ||
| COLORADO SPRINGS, CO 80916 | ||
| (719) 550-1900 | ||
Other Remarks
- CUSTOMS AVBL FOR ALL MIL/CIVILIAN ACFT. CONTACT US CUSTOMS 719-574-6607.
- OIL: O-133-148-156(MIL).
- PORTIONS OF TWYS A, B, E, F, G, AND M ARE BLOCKED FROM VIEW FROM THE TOWER BY OBSTRUCTIONS. PORTIONS OF TWY C AND RY 17R/35L ARE BLOCKED FROM VIEW FROM THE TOWER WHEN THE INFIELD MILITARY OPERATING SFC IS OCCUPIED BY A C17 OR C5.
- WATERFOWL AND MIGRATORY BIRD ACTIVITY ON AND INVOF ARPT.
- A/DACG RAMP LIGHT 140 FT AGL.
- BE ALERT; INTENSIVE USAF STUDENT TRAINING INVOF COLORADO SPRINGS & PUEBLO COLORADO.
- CTN: ACFT WITH WINGSPAN GREATER THAN 117 FT; WHEN TAXI ON CNTRLN A2, A3, A4, USE OVERSTEER IN TURNS DUE TO INSUFFICIENT CORNER FILLETS IN PAVEMENT.
- PPR RQR FOR ALL TRAN ACFT - CTC AFLD MGT DSN 834-4778/9 C719-556-4778/9. AFLD MGMT OPR 1300-0500++, CLSD HOL.
- TURBO JET TRNG FLTS PROHIBITED 2300-0600.
- MILITARY: TRAN ALERT-FORT CARSON ARRIVAL/DEPARTURE AIR CONTROL GROUP (ADACG) MSN, CTC DSN 532-8002/3 OR C719-503-8002/3. ALL TRAN ACFT CTC HIGH COUNTRY 30 MIN PRIOR TO ARR. TRAN ACFT CTC COLORADO SPRINGS RGNL COMD POST (CALLSIGN: HIGH COUNTRY) WITH ATA AND ATD.
- MISC-FAA ATCT WILL PROVIDE MIL RCR O/R. CARGO AND PAX SVC AVBL ONLY ON PETERSON RAMP 1330-2330Z++ WKD. CLSD WKEND AND HOL UNLESS COORD 72 HR PRIOR. CTC PAX SVC AT DSN 834-4521/9021 OR C719-556-4521/9021.
- FUEL-A++(MIL)
- MISC-WX OPR H24 INCL WKEND; ++ CTC 834-4337, C 719-556-4337. OBSN AND FCST BY NWS KCOS. LLWASL KPEF WATCH, WARNING, ADZY.
- WHEN CROSSING RWY 17R/35L FROM A1 TO B1 OR B1 TO A1, BE AWARE YOU WILL NOT SEE A1 OR B1 DEPENDING ON DIRECTION CROSSING UNTIL YOU CREST RWY 17R/35L. WHEN CROSSING FROM A1 TO B1 TRAVEL NE AND FROM B1 TO A1 TRAVEL SW.
- AF: ACFT TRANSPORTING HAZ CARGO CTC AFLD MGMT ON 318.05 30 MIN PRIOR TO ARR.
- MILITARY: RSTD: DUE TO LIMITED PRKG AND POTENTIAL TO DMG LGT, UNSECURED ACFT, MOBILITY ACFT ARE NOT PERMITTED TO USE COLORADO SPRINGS FBO UNLESS FBO CAN GUARANTEE SUFFICIENT PRKG CLNC THAT BLAST FM ENG THRUST AND REVERSE THRUST WILL NOT IMPACT OTR ACFT, GND PSNL, OR EQPT.
- B52 OPNS PROHIBITED.
- LGTD WDI APCH RWY 17L/35R, 17R/35L & 13/31.
- JASU: 2(AM32A-95) 2MA32A-60A 2(MA32-86A) 1(SGNC) 2(B809D-GENERATORS).
- ACTVT REIL RWY 13 & 31, 17R - CTC COS ATCT.
Weather Minimums
Standard Terminal Arrival (STAR) Charts
Instrument Approach Procedure (IAP) Charts
- ILS OR LOC RWY 17L

- ILS OR LOC RWY 35L

- ILS OR LOC RWY 35R

- ILS RWY 17L (SA CAT I - II)

- ILS RWY 35L (SA CAT II)

- RNAV (RNP) Z RWY 17L

- RNAV (RNP) Z RWY 17R

- RNAV (RNP) Z RWY 35L

- RNAV (RNP) Z RWY 35R

- RNAV (GPS) RWY 31

- RNAV (GPS) Y RWY 17L

- RNAV (GPS) Y RWY 17R

- RNAV (GPS) Y RWY 35L

- RNAV (GPS) Y RWY 35R

- VOR RWY 17L

- NDB RWY 35L

Departure Procedure (DP) Charts
Nearby Airports with Instrument Procedures
| ID | Name | Heading / Distance | ||
|---|---|---|---|---|
![]() |
KFLY | Meadow Lake Airport | 036° | 10.2 |
![]() |
1V6 | Fremont County Airport | 220° | 29.6 |
![]() |
KPUB | Pueblo Memorial Airport | 162° | 32.4 |
![]() |
KAPA | Centennial Airport | 351° | 46.3 |
![]() |
KBKF | Buckley Space Force Base Airport | 357° | 53.8 |
![]() |
KLIC | Limon Municipal Airport | 059° | 56.0 |
![]() |
KCFO | Colorado Air and Space Port Airport | 007° | 59.1 |
![]() |
KDEN | Denver International Airport | 001° | 63.3 |
![]() |
KANK | Salida/Harriett Alexander Field Airport | 256° | 65.3 |
![]() |
KAEJ | Central Colorado Regional Airport | 270° | 66.6 |
![]() |
4V1 | Spanish Peaks Airfield Airport | 183° | 66.6 |
![]() |
KBJC | Rocky Mountain Metro Airport | 343° | 68.9 |









