Login
Register
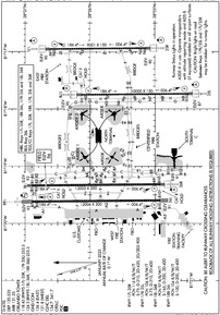
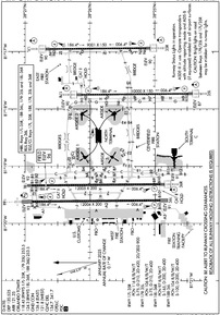
MCO
Orlando International Airport
Official FAA Data Effective 2024-04-18 0901Z
VFR Chart of KMCO
Sectional Charts at SkyVector.com
IFR Chart of KMCO
Enroute Charts at SkyVector.com
Location Information for KMCO
Coordinates: N28°25.76' / W81°18.54'Located 06 miles SE of Orlando, Florida on 11605 acres of land. View all Airports in Florida.
Surveyed Elevation is 96 feet MSL.
Operations Data
|
|
Airport Communications
| D-ATIS: | 120.525 ;DEP 121.25 ;ARR |
|---|---|
| ASOS: | Tel. 407-855-5235 |
| ORLANDO TOWER: | 118.45 ;RWY 17L/35R, 17R/35L 124.3 ;RWY 18L/36R, 18R/36L 253.5 |
| ORLANDO GROUND: | 121.8 ;WEST 126.4 ;EAST |
| ORLANDO APPROACH: | 119.4 ;061-180 4500 FT & BLW 119.4 ;181-310 5500 FT & BLW 120.15 120.15 ;181-359 ABV 5500 FT 123.85 124.8 124.8 ;000-180 ABV 5000 FT 134.05 135.3 ;311-060 5500 FT & BLW 284.7 284.7 ;181-359 ABV 5500 FT 307.0 307.0 ;000-180 ABV 5500 FT 339.8 351.9 ;311-060 5500 FT & BLW |
| ORLANDO DEPARTURE: | 119.4 ;061-180 4500 FT & BLW 119.4 ;181-310 5500 FT & BLW 120.15 120.15 ;181-359 ABV 5500 FT 124.8 124.8 ;000-180 ABV 5000 FT 135.3 ;311-060 5500 FT & BLW 284.7 284.7 ;181-359 ABV 5500 FT 307.0 307.0 ;000-180 ABV 5500 FT 351.9 ;311-060 5500 FT & BLW |
| IC: | 124.8 ;000-180 ABV 5000 FT 307.0 ;000-180 ABV 5500 FT |
| CLEARANCE DELIVERY: | 134.7 341.7 |
| JAFAR STAR: | 134.05 339.8 |
| RDSOX DP: | 120.15 284.7 |
| GTOUT STAR: | 128.375 338.2 |
| MINEE STAR: | 134.05 339.8 |
| RIDES STAR: | 128.375 338.2 |
| LEESE STAR: | 128.675 263.05 134.05 339.8 |
| CLASS B: | 119.4 ;061-180 4500 FT & BLW 119.4 ;181-310 5500 FT & BLW 120.15 ;181-359 ABV 5500 FT 124.8 ;000-180 ABV 5500 FT 135.3 ;311-060 5500 FT & BLW 284.7 ;181-359 ABV 5500 FT 307.0 ;000-180 ABV 5500 FT 351.9 ;311-060 5500 FT & BLW |
| AMEND STAR: | 339.8 |
| MZULO DP: | 124.8 307.0 |
| FATHE DP: | 124.8 307.0 |
| JEEMY DP: | 120.15 ;DEPARTING SOUTH 124.8 ;DEPARTING NORTH 284.7 ;DEPARTING SOUTH 307.0 ;DEPARTING NORTH |
| DDANY DP: | 124.8 307.0 |
| FSHUN DP: | 120.15 284.7 |
| ORLANDO DP: | 120.15 ;WEST 124.8 ;EAST 284.7 ;WEST 307.0 ;EAST |
| GOOFY STAR: | 128.375 338.2 |
| UNICOM: | 122.950 |
| EMERG: | 121.5 243.0 |
| BITHO STAR: | 128.375 338.2 |
| CITRUS DP: | 119.4 351.9 |
| GRNCH STAR: | 134.05 339.8 |
| SNFLD STAR: | 128.375 338.2 |
| ALYNA STAR: | 124.8 307.0 |
| AR OPS: | 148.8 41.5 |
| OSPRY DP: | 120.15 284.7 |
| PRICY STAR: | 134.05 339.8 |
| JOKRS STAR: | 134.05 339.8 |
| ASOS at ORL (7.1 N): | 127.25 407-658-6753 |
| ATIS at ORL (7.1 N): | 127.25 |
| AWOS-3PT at ISM (10.7 SW): | 407-847-0533 |
- TWRPH# 407-852-7500.
Nearby Navigation Aids
|
| ||||||||||||||||||||||||||||||||||||||||||
Runway 18L/36R
| Dimensions: | 12005 x 200 feet / 3659 x 61 meters | |
|---|---|---|
| Surface: | Asphalt-Concrete / Grooved in Good Condition CENTER 75 FOOT KEEL SECTION OF RY CONCRETE FULL LENGTH; CENTER 100 FOOT KEEL SECTION OF RY CONCRETE FIRST 1000 FT, BOTH ENDS. REST OF RY WIDTH IS ASPHALT. | |
| Weight Limits: | 97 /R/B/W/T, S-165, D-200, ST-400 | |
| Edge Lighting: | High Intensity | |
| Runway 18L | Runway 36R | |
| Coordinates: | N28°26.90' / W81°19.34' | N28°24.92' / W81°19.32' |
| Elevation: | 92.4 | 91.0 |
| Traffic Pattern: | Left | Left |
| Runway Heading: | 179° True | 359° True |
| Declared Distances: | TORA:12005 TODA:12005 ASDA:12005 LDA:12005 | TORA:12005 TODA:12005 ASDA:11601 LDA:11601 |
| Markings: | Precision Instrument in good condition. | Precision Instrument in good condition. |
| Glide Slope Indicator | P4L (3.00° Glide Path Angle) | P4L (3.00° Glide Path Angle) |
| RVR Equipment | Touchdown Midfield Rollout | Touchdown Midfield Rollout |
| Approach Lights: | ALSF2 Standard 2,400 Foot High-intensity Approach Lighting System with sequenced flashers, CATEGORY II or III Configuration. | |
| Centerline Lights: | Yes | Yes |
Runway 18R/36L
| Dimensions: | 12004 x 200 feet / 3659 x 61 meters | |
|---|---|---|
| Surface: | Asphalt-Concrete / Grooved in Good Condition CENTER 87 FOOT KEEL SECTION OF RY CONCRETE FULL LENGTH; REST OF RY WIDTH IS ASPHALT. LAST 3000 FT OF RY 18R IS CONCRETE FULL WIDTH. | |
| Weight Limits: | 104/R/B/W/T, S-100, D-200, ST-400 | |
| Edge Lighting: | High Intensity | |
| Runway 18R | Runway 36L | |
| Coordinates: | N28°26.90' / W81°19.62' | N28°24.92' / W81°19.60' |
| Elevation: | 92.5 | 91.1 |
| Traffic Pattern: | Left | Left |
| Runway Heading: | 179° True | 359° True |
| Declared Distances: | TORA:12004 TODA:12004 ASDA:12004 LDA:12004 | TORA:12004 TODA:12004 ASDA:11621 LDA:11621 |
| Markings: | Precision Instrument in good condition. | Precision Instrument in good condition. |
| Glide Slope Indicator | P4L (3.00° Glide Path Angle) | P4L (3.00° Glide Path Angle) |
| RVR Equipment | Touchdown Midfield Rollout | Touchdown Midfield Rollout |
| Approach Lights: | MALSR 1,400 Foot Medium-intensity Approach Lighting System with runway alignment indicator lights. | |
| REIL: | Yes | |
| Centerline Lights: | Yes | Yes |
Runway 17R/35L
| Dimensions: | 10000 x 150 feet / 3048 x 46 meters | |
|---|---|---|
| Surface: | Concrete / Grooved in Good Condition | |
| Weight Limits: | 106/R/B/W/T, S-75, D-210, ST-400 | |
| Edge Lighting: | High Intensity | |
| Runway 17R | Runway 35L | |
| Coordinates: | N28°26.14' / W81°17.75' | N28°24.49' / W81°17.74' |
| Elevation: | 90.1 | 86.7 |
| Runway Heading: | 179° True | 359° True |
| Declared Distances: | TORA:10000 TODA:10000 ASDA:10000 LDA:10000 | TORA:10000 TODA:10000 ASDA:10000 LDA:10000 |
| Markings: | Precision Instrument in good condition. | Precision Instrument in good condition. |
| Glide Slope Indicator | P4L (3.00° Glide Path Angle) | P4R (3.00° Glide Path Angle) |
| RVR Equipment | Touchdown Midfield Rollout | Touchdown Midfield Rollout |
| Approach Lights: | ALSF2 Standard 2,400 Foot High-intensity Approach Lighting System with sequenced flashers, CATEGORY II or III Configuration. | ALSF2 Standard 2,400 Foot High-intensity Approach Lighting System with sequenced flashers, CATEGORY II or III Configuration. |
| Centerline Lights: | Yes | Yes |
Runway 17L/35R
| Dimensions: | 9001 x 150 feet / 2744 x 46 meters | |
|---|---|---|
| Surface: | Concrete / Grooved in Good Condition | |
| Weight Limits: | 116/R/B/W/T, S-75, D-210, ST-420, DT-900 | |
| Edge Lighting: | High Intensity | |
| Runway 17L | Runway 35R | |
| Coordinates: | N28°26.62' / W81°16.95' | N28°25.14' / W81°16.94' |
| Elevation: | 89.7 | 89.7 |
| Runway Heading: | 179° True | 359° True |
| Declared Distances: | TORA:9001 TODA:9001 ASDA:9001 LDA:9001 | TORA:9001 TODA:9001 ASDA:9001 LDA:9001 |
| Markings: | Precision Instrument in good condition. | Precision Instrument in good condition. |
| Glide Slope Indicator | P4L (3.00° Glide Path Angle) | P4R (3.00° Glide Path Angle) |
| RVR Equipment | Touchdown Midfield Rollout | Touchdown Midfield Rollout |
| Approach Lights: | ALSF2 Standard 2,400 Foot High-intensity Approach Lighting System with sequenced flashers, CATEGORY II or III Configuration. | ALSF2 Standard 2,400 Foot High-intensity Approach Lighting System with sequenced flashers, CATEGORY II or III Configuration. |
| Centerline Lights: | Yes | Yes |
Services Available
| Fuel: | 100LL (blue), Jet-A |
|---|---|
| Transient Storage: | Hangars,Tiedowns |
| Airframe Repair: | MINOR |
| Engine Repair: | MINOR |
| Bottled Oxygen: | NONE |
| Bulk Oxygen: | NONE |
| Other Services: | AIR FREIGHT SERVICES,CARGO HANDLING SERVICES |
Ownership Information
| Ownership: | Publicly owned | |
|---|---|---|
| Owner: | GREATER ORLANDO AVIATION AUTHORITY | |
| 1 JEFF FUQUA BLVD | ||
| ORLANDO, FL 32827-4399 | ||
| 407-825-2001 | ||
| Manager: | KEVIN J. THIBAULT, P.E. | |
| 1 JEFF FUQUA BLVD | ||
| ORLANDO, FL 32827-4399 | ||
| 407-825-7445 | ||
Operational Statistics
| Single Engine Aircraft Based on Field: | 3 | Statistics collected for 12 month period ending 2023-04-30 | |
|---|---|---|---|
| Multi-Engine Aircraft Based on Field: | 6 | Annual Commercial Operations: | 351755 |
| Jet Aircraft Based on Field: | 27 | Annual Commuter Operations: | none |
| Helicopters Based on Field: | 1 | Annual Air Taxi Operations: | 15139 |
| Military Aircraft Based on Field: | none | Annual Military Operations: | 273 |
| Gliders Based on Field: | none | Annual GA Local Operations: | none |
| Ultralights Based on Field: | none | Annual GA Itinerant Operations: | 14939 |
Other Remarks
- BIRDS & DEER ON & INVOF ARPT.
- ASDE-X IN USE. OPERATE TRANSPONDERS WITH ALTITUDE REPORTING MODE AND ADS-B (IF EQUIPPED) ENABLED ON ALL AIRPORT SURFACES.
- USE CAUTION IN VCNTY OF TWY "A" ALONG WEST RAMP.
- UNLESS ADV BY ATIS, DEP FLTS ON INITIAL CTC WITH GND CTL: ACFT ON WEST RAMP, AIRSIDE 1 & 3 (GATES 1-59) USE GND CTL 121.8. ACFT AT AIRSIDE 2 & 4 (GATES 60 AND HIGHER), USE GND CTL 126.4.
- TWY J3 AND TWY J4 RSTD TO WINGSPAN OF LESS THAN 118 FT.
- RUNWAY STATUS LIGHTS ARE IN OPERATION.
- ACFT WITH WINGSPAN GREATER THAN 214 FT MUST ADHERE TO SPECIFIC RY AND TAXI ROUTES. CONTACT AIRFIELD OPS AT 407-825-2036 FOR DETAILS.
- TWY A, SOUTH OF TWY A3 RSTD TO WINGSPAN OF LESS THAN 118 FT. PPR REQUIRED FOR WINGSPAN 118 FT OR GREATER.
- RY 17L-35R UNLIT 0400-1100Z.
- WEST RAMP CUSTOMS INSPECTION PRKG AREA RSTD TO ACFT WINGSPAN LESS THAN 118'
- TWY A, BTN W RAMP S END AND TWY B10, RSTRD TO ACFT WINGSPAN LESS THAN 171 FT. PPR FOR ACFT WINGSPAN 171 FT OR GTR.
- AVOID CONTACT WITH TAXIWAY EDGE LIGHTS; ALL AIRCRAFT DETERMINED TO BE FAA DESIGN GROUP IV AND ABOVE MUST PERFORM JUDGEMENTAL OVERSTEERING INSTEAD OF COCKPIT CENTERLINE STEERING WHEN TAXIING.
- WHEN ORL ILS RY 7 AND MCO ILS RYS 17 & 18R SIMULTANEOUS OPERATIONS ARE CONDUCTED, ATC RADAR REQUIRED.
- BRIGHT LGTS ON ROAD BTN RY 17R/35L AND RY 17L/35R MAY BE MISTAKEN FOR RY LGTS.
- UPDTD PER 2021 INTERIM ALP.
Weather Minimums
Standard Terminal Arrival (STAR) Charts
- ALYNA FOUR (RNAV)

- BITHO SEVEN

- GRNCH FIVE (RNAV)

- GRNCH FIVE (RNAV), CONT.1

- GTOUT ONE (RNAV)

- JAFAR THREE (RNAV)

- JAFAR THREE (RNAV), CONT.1

- JOKRS FOUR (RNAV)

- JOKRS FOUR (RNAV), CONT.1

- LEESE THREE

- LEESE THREE, CONT.1

- MINEE SIX

- MINEE SIX, CONT.1

- MUNGI ONE (RNAV)

- MUNGI ONE (RNAV), CONT.1

- PRICY FIVE (RNAV)

- PRICY FIVE (RNAV), CONT.1

- PRICY FIVE (RNAV), CONT.2

- SHREK TWO (RNAV)

- SLOAO ONE (RNAV)

- SNFLD THREE (RNAV)

- SNFLD THREE (RNAV), CONT.1

Instrument Approach Procedure (IAP) Charts
- ILS OR LOC RWY 17L

- ILS OR LOC RWY 17R

- ILS OR LOC RWY 18R

- ILS OR LOC RWY 35L

- ILS OR LOC RWY 35R

- ILS OR LOC RWY 36L

- ILS OR LOC RWY 36R

- ILS RWY 17L (SA CAT I)

- ILS RWY 35L (SA CAT I)

- ILS RWY 35R (SA CAT I)

- ILS RWY 36R (SA CAT I)

- ILS RWY 17R (CAT II)

- ILS RWY 17L (CAT II - III)

- ILS RWY 35L (CAT II - III)

- ILS RWY 35R (CAT II - III)

- ILS RWY 36R (CAT II - III)

- RNAV (RNP) Z RWY 17L

- RNAV (RNP) Z RWY 18R

- RNAV (RNP) Z RWY 35R

- RNAV (RNP) Z RWY 36L

- RNAV (GPS) RWY 17R

- RNAV (GPS) RWY 18L

- RNAV (GPS) RWY 35L

- RNAV (GPS) RWY 36R

- RNAV (GPS) Y RWY 17L

- RNAV (GPS) Y RWY 18R

- RNAV (GPS) Y RWY 35R

- RNAV (GPS) Y RWY 36L

Departure Procedure (DP) Charts
- RNAV DP AAUP

- RNAV DP AAUP, CONT.1

- CITRUS ONE

- DDANY THREE (RNAV)

- DDANY THREE (RNAV), CONT.1

- FATHE FOUR (RNAV)

- FATHE FOUR (RNAV), CONT.1

- FATHE FOUR (RNAV), CONT.2

- FSHUN FOUR (RNAV)

- FSHUN FOUR (RNAV), CONT.1

- JEEMY FOUR (RNAV)

- JEEMY FOUR (RNAV), CONT.1

- MZULO THREE (RNAV)

- MZULO THREE (RNAV), CONT.1

- ORLANDO SIX

- OSPRY ONE (RNAV)

- OSPRY ONE (RNAV), CONT.1

- RDSOX ONE (RNAV)

- RDSOX ONE (RNAV), CONT.1

Nearby Airports with Instrument Procedures
| ID | Name | Heading / Distance | ||
|---|---|---|---|---|
![]() |
KORL | Exec Airport | 349° | 7.1 |
![]() |
KISM | Kissimmee Gateway Airport | 219° | 10.8 |
![]() |
KSFB | Orlando Sanford International Airport | 010° | 21.2 |
![]() |
X04 | Orlando Apopka Airport | 319° | 22.0 |
![]() |
KTIX | Space Coast Regional Airport | 079° | 27.4 |
![]() |
X21 | Arthur Dunn Air Park Airport | 065° | 27.6 |
![]() |
KGIF | Winter Haven Regional Airport | 227° | 32.2 |
![]() |
KCOI | Merritt Island Airport | 098° | 33.4 |
![]() |
KTTS | Space Florida Launch and Landing Facility Airport | 070° | 34.3 |
![]() |
X23 | Umatilla Municipal Airport | 328° | 34.7 |
![]() |
KLEE | Leesburg International Airport | 311° | 35.4 |
![]() |
X07 | Lake Wales Municipal Airport | 207° | 36.1 |








