Login
Register
LOU
Bowman Field Airport
Official FAA Data Effective 2025-11-27 0901Z
From the Flight Deck
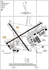
VFR Chart of KLOU
Sectional Charts at SkyVector.com
IFR Chart of KLOU
Enroute Charts at SkyVector.com
Location Information for KLOU
Coordinates: N38°13.68' / W85°39.82'Located 05 miles SE of Louisville, Kentucky on 426 acres of land. View all Airports in Kentucky.
Surveyed Elevation is 545 feet MSL.
Operations Data
|
|
Airport Communications
| ATIS: | 124.15 |
|---|---|
| ASOS: | Tel. 502-473-0693 |
| BOWMAN TOWER: | 119.5 257.625 |
| BOWMAN GROUND: | 121.8 |
| LOUISVILLE APPROACH: | 132.075 327.0 |
| LOUISVILLE DEPARTURE: | 132.075 327.0 |
| CLEARANCE DELIVERY: | 118.9 |
| UNICOM: | 122.950 |
| CTAF: | 119.500 |
| VFR ADZY: | 119.5 |
| ASOS at SDF (4.4 SW): | 502-676-6814 |
| D-ATIS at SDF (4.7 SW): | 118.725 |
| AWOS-3 at JVY (9.4 N): | 118.575 812-246-1278 |
Nearby Navigation Aids
|
| ||||||||||||||||||||||||||||||||||||||||||||||||||||||||||||
Runway 06/24
| Dimensions: | 4358 x 75 feet / 1328 x 23 meters | |
|---|---|---|
| Surface: | Asphalt in Fair Condition | |
| Weight Limits: | S-30 | |
| Edge Lighting: | Medium Intensity | |
| Runway 06 | Runway 24 | |
| Coordinates: | N38°13.53' / W85°40.17' | N38°13.89' / W85°39.38' |
| Elevation: | 544.4 | 530.8 |
| Traffic Pattern: | Left | Left |
| Runway Heading: | 60° True | 240° True |
| Displaced Threshold: | 848 Feet | 310 Feet |
| Declared Distances: | TORA:4047 TODA:4357 ASDA:4316 LDA:3469 | TORA:3509 TODA:4357 ASDA:4165 LDA:3856 |
| Markings: | Non-Precision Instrument in good condition. | Non-Precision Instrument in good condition. |
| Glide Slope Indicator | P2L (3.50° Glide Path Angle) | P2L (3.00° Glide Path Angle) |
| REIL: | Yes | |
| Obstacles: | 10 ft Tree 204 ft from runway, 76 ft right of center APCH RATIO 20:1 TO DTHR. 8 FT FENCE 108 FT FM RWY END; 956 FT FM DTHR. ROAD 159 FT FM RWY END; 1007 FT FM DTHR. |
17 ft Tree 388 ft from runway, 80 ft left of center APCH RATIO 20:1 TO DTHR. |
Runway 15/33
| Dimensions: | 3580 x 75 feet / 1091 x 23 meters | |
|---|---|---|
| Surface: | Asphalt in Fair Condition | |
| Weight Limits: | S-30 | |
| Edge Lighting: | Medium Intensity | |
| Runway 15 | Runway 33 | |
| Coordinates: | N38°13.88' / W85°40.11' | N38°13.41' / W85°39.66' |
| Elevation: | 538.6 | 518.7 |
| Traffic Pattern: | Left | Left |
| Runway Heading: | 144° True | 324° True |
| Displaced Threshold: | 206 Feet | 342 Feet |
| Declared Distances: | TORA:3238 TODA:3579 ASDA:3579 LDA:3373 | TORA:3373 TODA:3579 ASDA:3466 LDA:3125 |
| Markings: | Non-Precision Instrument in good condition. | Non-Precision Instrument in good condition. |
| Glide Slope Indicator | P2L (3.50° Glide Path Angle) | P2L (3.25° Glide Path Angle) |
| REIL: | Yes | |
| Obstacles: | 7 ft Other 262 ft from runway, 214 ft left of center 6 FT PATH & GOLF CARTS. APCH RATIO 20:1 TO DTHR. +8 FT FENCE 188 FT FM RWY END; 394 FT FM DTHR. |
8 ft Road 289 ft from runway, 263 ft left of center APCH RATIO 20:1 TO DTHR. |
Services Available
| Fuel: | 100LL (blue), Jet-A |
|---|---|
| Transient Storage: | Hangars,Tiedowns |
| Airframe Repair: | MAJOR |
| Engine Repair: | MAJOR |
| Bottled Oxygen: | HIGH/LOW |
| Bulk Oxygen: | HIGH/LOW |
| Other Services: | AIR AMBULANCE SERVICES,AVIONICS,CHARTER SERVICE,PILOT INSTRUCTION,AIRCRAFT RENTAL,AIRCRAFT SALES |
Ownership Information
| Ownership: | Publicly owned | |
|---|---|---|
| Owner: | REGIONAL AIRPORT AUTH | |
| P O BOX 9129 | ||
| LOUISVILLE, KY 40209-0129 | ||
| 502-368-6524 | ||
| Manager: | JORGIE DERMODY | |
| 3345 ROGER E SCHUPP STREET | ||
| LOUISVILLE, KY 40205 | ||
| 502-243-7305 | 502-851-5903 | |
Other Remarks
- COMPASS ROSE LCTD AT ADMIN BLDG NOT FOR COMPASS CALIBRATION USE.
- 24 HR PPR FOR MIL ROTARY WING.
- FOR CD WHEN ATCT CLSD, CTC SDF ATCT 502-375-7499.
- NOISE ABATEMENT: NO PRACTICE APCH MON-SAT 2200-0700. SUN 2200-0900, OR WHEN TWR CLSD.
- STAGE 3 COMPLIANCE RQRD FOR TURBOJET; PPR OVR 30000 LB GWT - AMGR.
- TRNG OPS NA WHEN ATCT CLSD.
- OBSTNS & TREES IN ALL APCH SFCS.
- ADCUS FLT NOTIFICATION SVC AVBL.
- BIRDS ON & INVOF ARPT DURG DALGT HR.
- ACTVT MIRL RWY 06/24 & 15/33 - CTAF.
Weather Minimums
Standard Terminal Arrival (STAR) Charts
Instrument Approach Procedure (IAP) Charts
Nearby Airports with Instrument Procedures
| ID | Name | Heading / Distance | ||
|---|---|---|---|---|
![]() |
KSDF | Louisville Muhammad Ali International Airport | 226° | 4.7 |
![]() |
KJVY | Clark Regional Airport | 337° | 9.0 |
![]() |
KFTK | Godman AAF Airport | 217° | 24.2 |
![]() |
KBRY | Samuels Field Airport | 162° | 26.0 |
![]() |
KIMS | Madison Municipal Airport | 016° | 33.2 |
![]() |
KEKX | Addington Field Airport | 200° | 34.8 |
![]() |
KFFT | Capital City Airport | 094° | 35.9 |
![]() |
6I2 | Lebanon Springfield-George Hoerter Field Airport | 150° | 40.9 |
![]() |
KSER | Freeman Municipal Airport | 344° | 43.3 |
![]() |
I93 | Breckinridge County Airport | 234° | 45.4 |
![]() |
KFRH | French Lick Municipal Airport | 290° | 48.9 |
![]() |
KOVO | North Vernon Airport | 003° | 49.1 |










Comments
Air Devil dept
The FBO is located next to nmbrs of RY6 (West Ramp), not across from TY A3 (I think that's a flight school). Departures (IFR & VFR) should expect the "Air Devil Dept", see jpg.

william beebe
Pages